New Search Family, Subfamily and Tribe List
new world both worldsboth worlds old world
Family Prioninae
SubFamily Prioninae
Tribe Anacolini

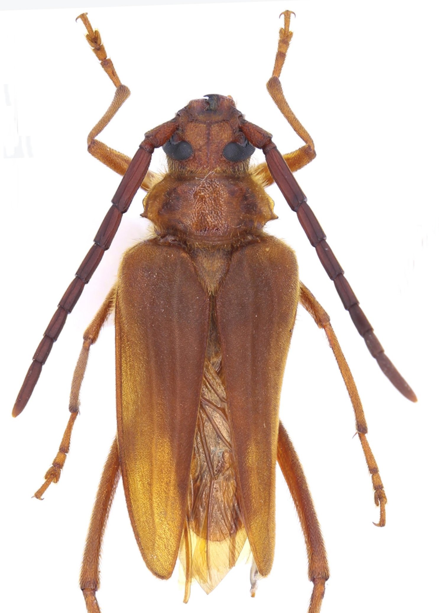
Genus Drumontiana


Drumontiana
amplipennis


Drumontiana
costata


Drumontiana
dentata


Drumontiana
francottei


Drumontiana
lacordairei


Drumontiana
nakamurai


Drumontiana
nomurai
nomurai


Drumontiana
nomurai
bachmanus


Drumontiana
zhiklini

130503