New Search Family, Subfamily and Tribe List
new world both worldsboth worlds old world
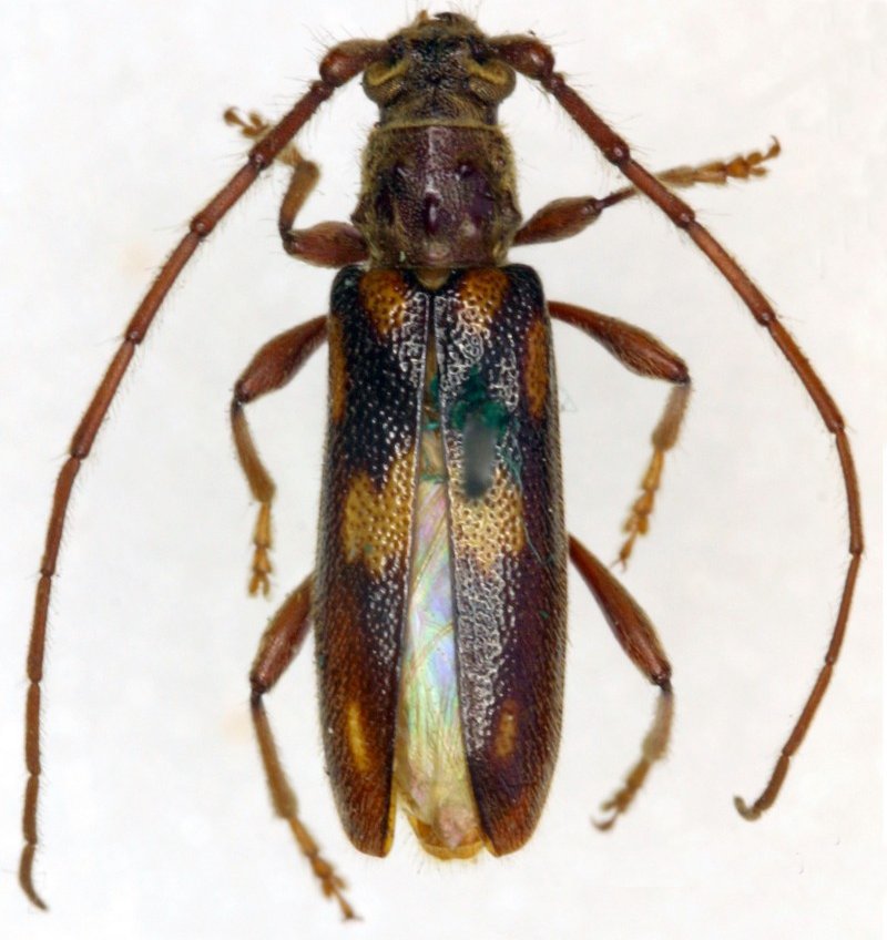
Family Cerambycinae
SubFamily Cerambycinae
Tribe Callidiopini

Genus Eburida


Eburida
picta


Eburida
quadriguttata

Eburida
sublineata
 
130503