New Search Family, Subfamily and Tribe List
new world both worldsboth worlds old world
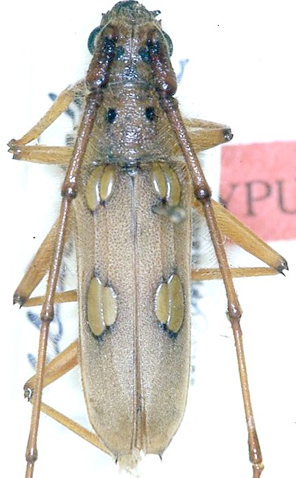
Family Cerambycinae
SubFamily Cerambycinae
Tribe Eburiini

Genus Eburostola


Eburostola
amazonica

130503