New Search Family, Subfamily and Tribe List
new world both worldsboth worlds old world
Family Cerambycinae
SubFamily Cerambycinae
Tribe Stenopterini

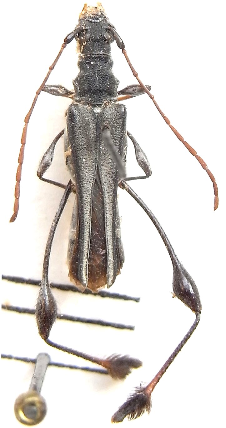
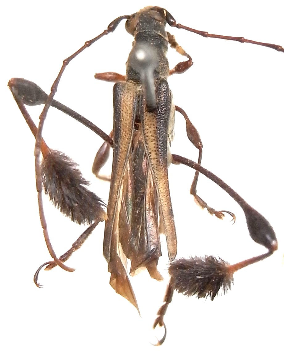
Genus Holangus

Holangus
bicolor
 
Holangus
flavonotatus
 

Holangus
guerryi

Holangus
ruficollis
 
Holangus
ruficornis
 
130503