New Search Family, Subfamily and Tribe List
new world both worldsboth worlds old world
Family Cerambycinae
SubFamily Cerambycinae
Tribe Dejanirini

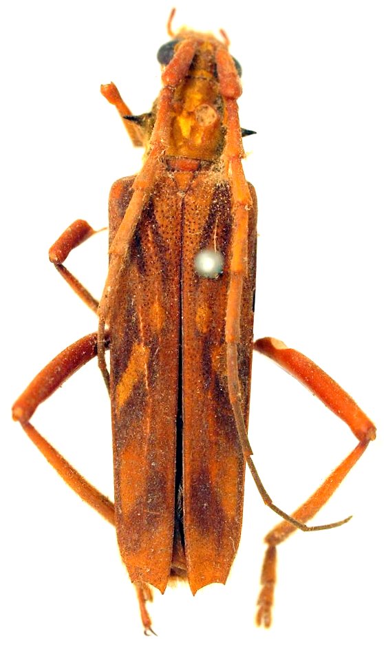
Genus Janidera


Janidera
biapiculata


Janidera
celebensis

Janidera
insignata
 
Janidera
plagiata
 
130503