New Search Family, Subfamily and Tribe List
new world both worldsboth worlds old world
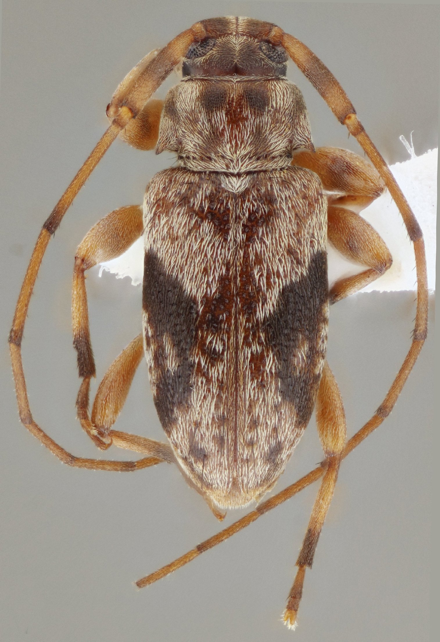
Family Lamiinae
SubFamily Lamiinae
Tribe Acanthocinini

Genus Lepturgotrichona


Lepturgotrichona
bordoni


Lepturgotrichona
cubaecola


Lepturgotrichona
stigmatica

130503