New Search Family, Subfamily and Tribe List
new world both worldsboth worlds old world
Family Cerambycinae
SubFamily Cerambycinae
Tribe Phoracanthini

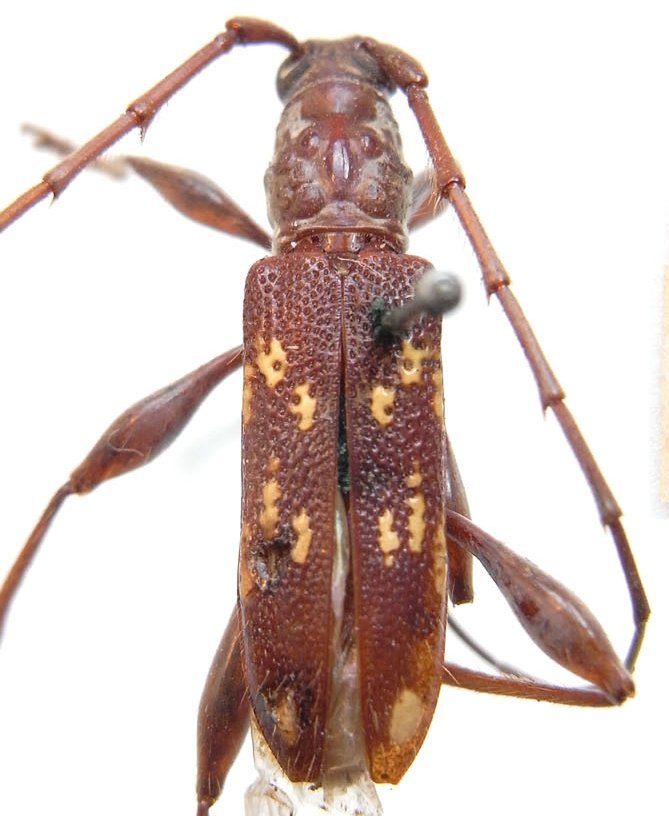
Genus Nyphasia


Nyphasia
apicalis

Nyphasia
fuscipennis
 
Nyphasia
maculata
 

Nyphasia
pascoei


Nyphasia
pulchra

Nyphasia
torrida
 
130503