New Search Family, Subfamily and Tribe List
new world both worldsboth worlds old world
Family Cerambycinae
SubFamily Cerambycinae
Tribe Phlyctaenodini

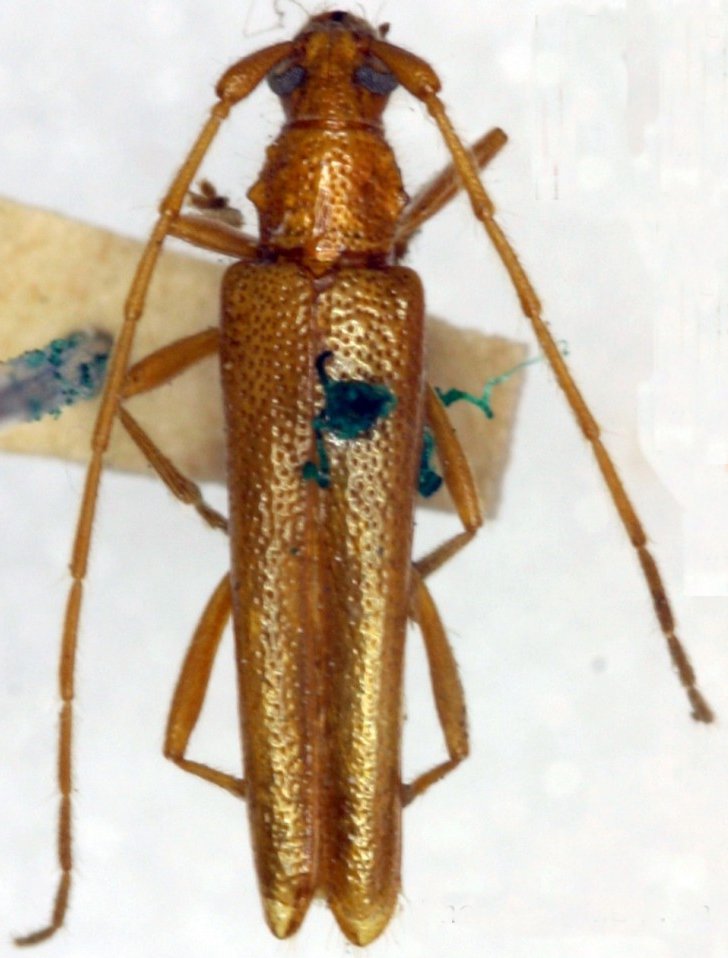
Genus Ophryops


Ophryops
aegrotus

Ophryops
dispar
 
Ophryops
fuscicollis
 
Ophryops
medius
 
Ophryops
pallidus
 
Ophryops
pseudofuscicollis
 
130503