New Search Family, Subfamily and Tribe List
new world both worldsboth worlds old world
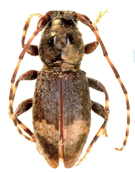
Family Lamiinae
SubFamily Lamiinae
Tribe Parmenini

Genus Paracondyloides


Paracondyloides
flavofasciatus

130503