New Search Family, Subfamily and Tribe List
new world both worldsboth worlds old world
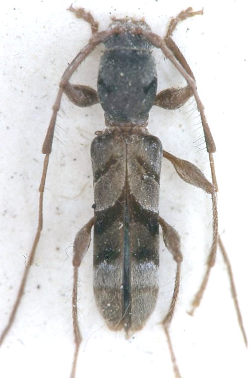
Family Cerambycinae
SubFamily Cerambycinae
Tribe Anaglyptini

Genus Pempteurys


Pempteurys
sericans

130503