New Search Family, Subfamily and Tribe List
new world both worldsboth worlds old world
Family Cerambycinae
SubFamily Cerambycinae
Tribe Anaglyptini

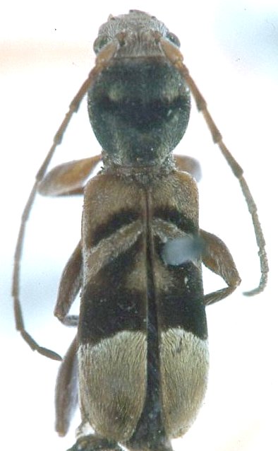
Genus Tilloclytus


Tilloclytus
balteatus


Tilloclytus
baoruco


Tilloclytus
bruneri


Tilloclytus
clavipes


Tilloclytus
cleroides


Tilloclytus
conradti


Tilloclytus
cubae


Tilloclytus
geminatus


Tilloclytus
haematocephalus


Tilloclytus
minutus


Tilloclytus
neiba


Tilloclytus
nivicinctus


Tilloclytus
pilosus


Tilloclytus
rufipes

130503