New Search Family, Subfamily and Tribe List
new world both worldsboth worlds old world
Family Apatophyseinae
SubFamily Apatophyseinae
Tribe

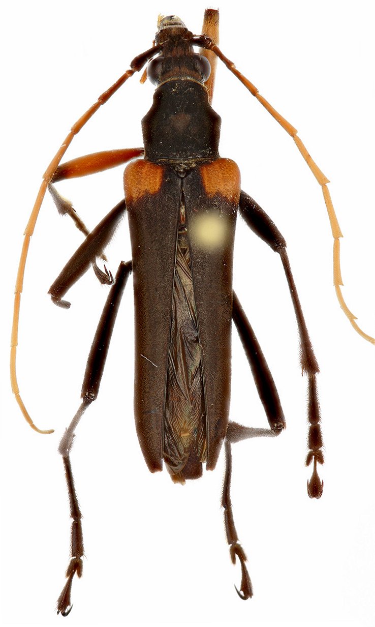
Genus Tsivoka


Tsivoka
humeralis


Tsivoka
peyrierasi


Tsivoka
simplicicollis


Tsivoka
testaceipes

130503