New Search
Family, Subfamily and Tribe List
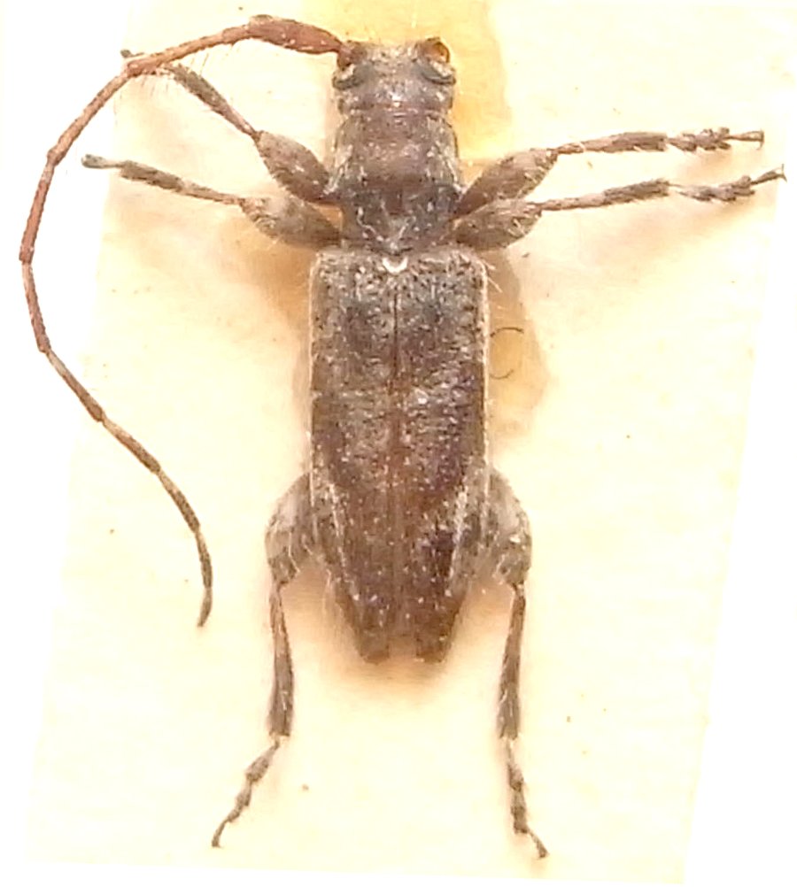
Family
Lamiinae
SubFamily
Lamiinae
Tribe
Acanthocinini
Genus
Tuberenes
Tuberenes
robustipes
130503