New Search Family, Subfamily and Tribe List
new world both worldsboth worlds old world
Family Cerambycinae
SubFamily Cerambycinae
Tribe Clytini

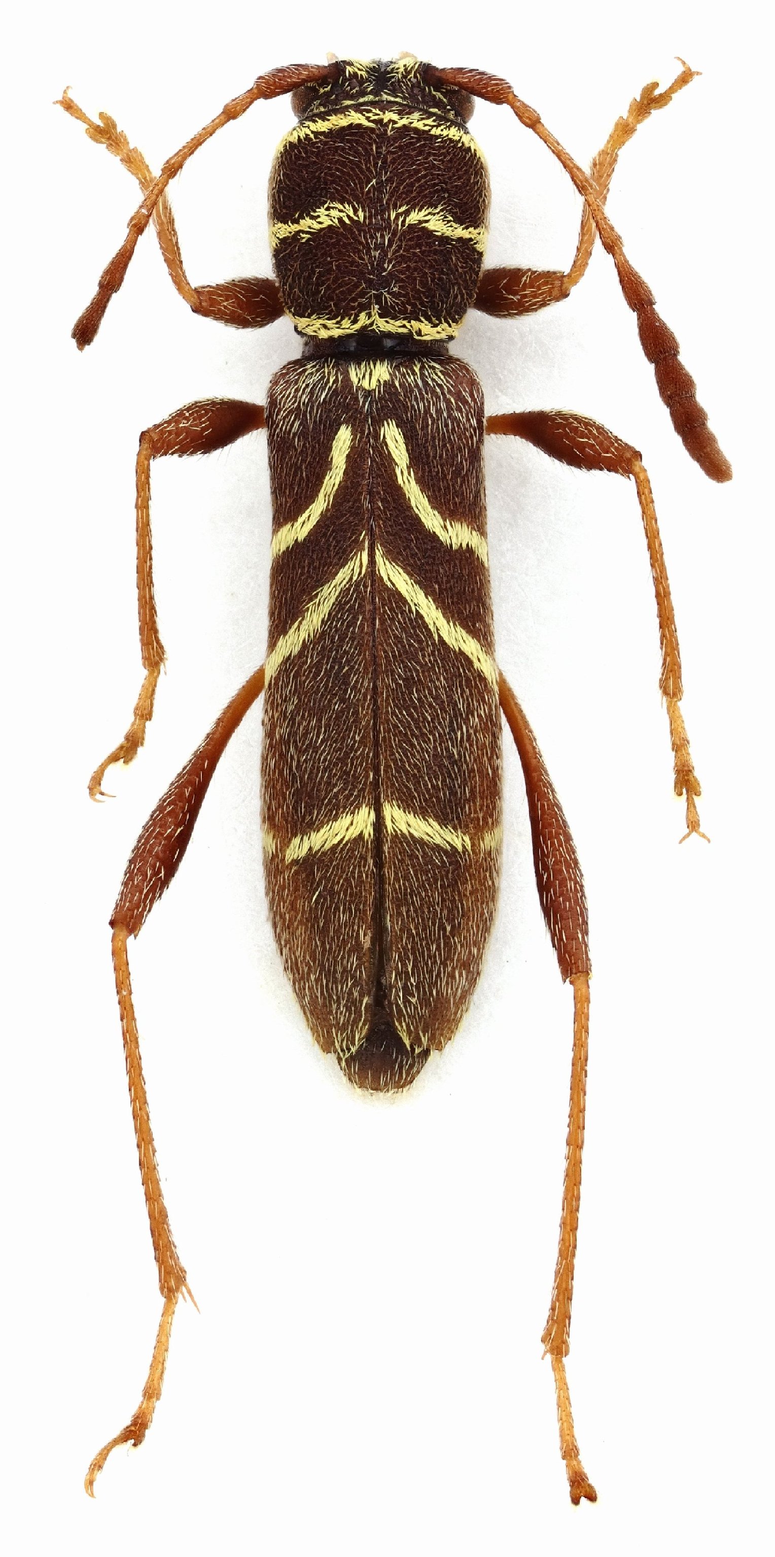
Genus Ygapema


Ygapema
accentifer


Ygapema
arixi


Ygapema
boliviana


Ygapema
clavata


Ygapema
delicata


Ygapema
errata


Ygapema
michelleae


Ygapema
mulleri


Ygapema
plaumanni

130503