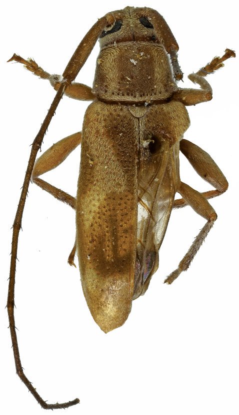
 Bates MNHN Santarem, Para, Brazil now Atrypanius C Rivier pic.jpg)
Lepturges pulchellus Bates Specimen Type: holotype Sex: f Institution: MNHN Museum of Natural History Paris, France Photographer: Cristophe Rivier Collection Location: Santarem, Para, Brazil 100974
|
 Bates MNHN Santarem, Para, Brazil now Atrypanius C Rivier pic.jpg)
Lepturges pulchellus Bates Specimen Type: holotype Sex: f Institution: MNHN Museum of Natural History Paris, France Photographer: Cristophe Rivier Collection Location: Santarem, Para, Brazil 100975
|
 Bates MNHN Santarem, Para, Brazil now Atrypanius Moure.jpg)
Lepturges pulchellus Bates Specimen Type: holotype Sex: f Institution: MNHN Museum of Natural History Paris, France Photographer: JS Moure Collection Location: Santarem, Para, Brazil 100298
|
_Bates_MNHN_FTH_=_Nyssodrysina_pulchella.jpg)
Lepturges pulchellus Bates Specimen Type: holotype Institution: MNHN Museum of Natural History Paris, France Photographer: Frank T. Hovore 17150
|
|