_Chemsak_8km_SW_San_Juan_de_los_Lagos_Jalisco_Mexico_UCB.jpg)
Specimen Type: holotype Institution: UCB Essig Museum of Entomology, Berkeley, California, USA Photographer: Larry G. Bezark Collection Location: 8km SW San Juan de los Lagos, Jalisco, Mexico 18112
|
_Chemsak_8km_SW_San_Juan_de_los_Lagos_Jalisco_Mexico_UCB.jpg)
Specimen Type: allotype Institution: UCB Essig Museum of Entomology, Berkeley, California, USA Photographer: Larry G. Bezark Collection Location: 8km SW San Juan de los Lagos, Jalisco, Mexico 18111
|
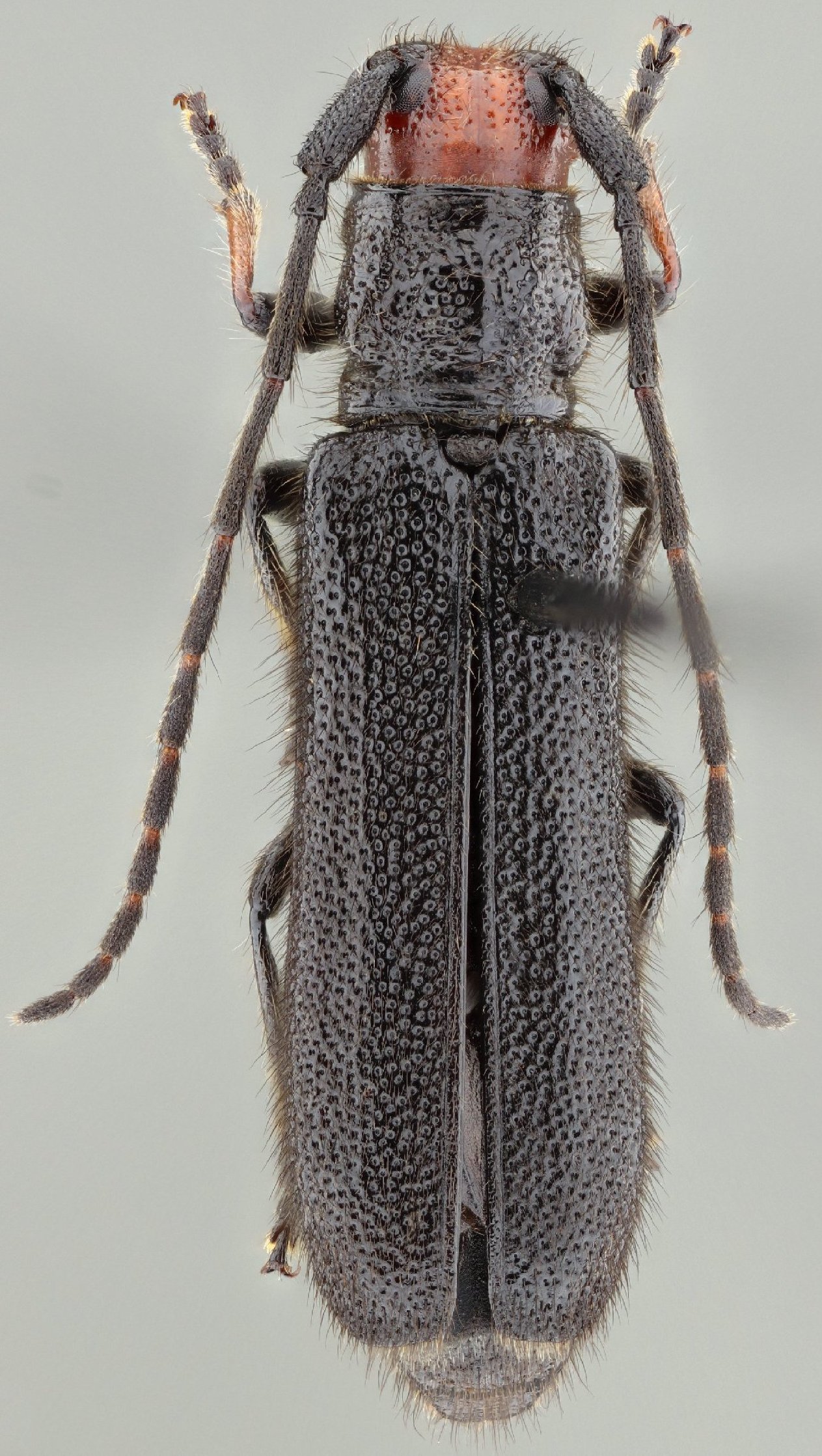
 Chemsak MZSP Jalisco, Mexico SS.jpg)
Sex: f Institution: MZSP Museu de Zoologia da Universidade de São Paulo, Brazil Photographer: Antonio Santos-Silva Collection Location: Jalisco, Mexico 11936
|
 Chemsak MZSP Jalisco, Mexico SS.jpg)
Sex: f Institution: MZSP Museu de Zoologia da Universidade de São Paulo, Brazil Photographer: Antonio Santos-Silva Collection Location: Jalisco, Mexico 100919
|
 Chemsak MZSP Jalisco, Mexico SS.jpg)
Sex: m Institution: MZSP Museu de Zoologia da Universidade de São Paulo, Brazil Photographer: Antonio Santos-Silva Collection Location: Jalisco, Mexico 100920
|
|