_Bates_MNHN_FTH_=_Olivensa.jpg)
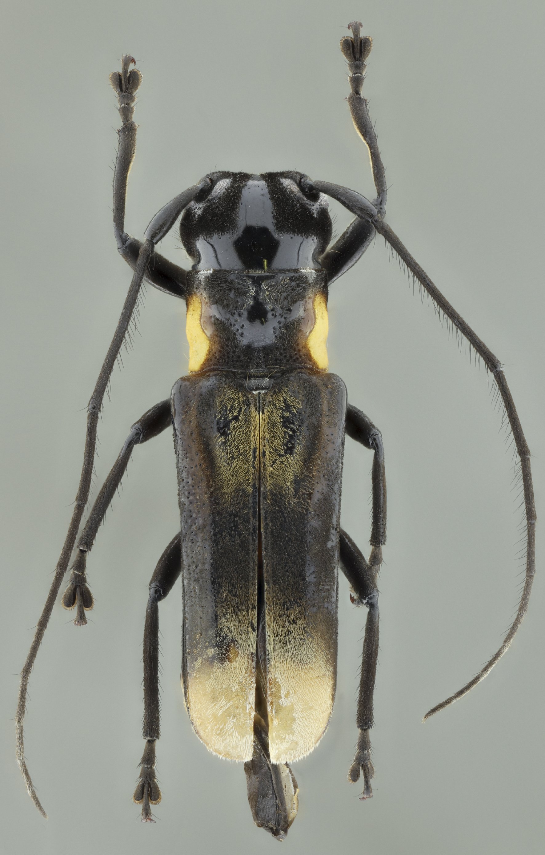
Amphionycha megacephala Bates Specimen Type: holotype Institution: MNHN Museum of Natural History Paris, France 15180
|

Photographer: Odette Morvan Collection Location: French Guiana 40150
|
 (Bates) Montagne de Chevaux, Roura, French Guiana Dalens.jpg)
Photographer: Frédéric Robin Collection Location: Montagne de Chevaux, Roura, French Guiana 77408
|
 (Bates) Montagne de Chevaux, Roura, French Guiana Dalens.jpg)
Photographer: Frédéric Robin Collection Location: Montagne de Chevaux, Roura, French Guiana 77409
|
 (Bates) Montagne de Chevaux, Roura, French Guiana Dalens.jpg)
Photographer: Frédéric Robin Collection Location: Montagne de Chevaux, Roura, French Guiana 77410
|
 (Bates) Montagne de Chevaux, Roura, French Guiana Dalens.jpg)
Photographer: Frédéric Robin Collection Location: Montagne de Chevaux, Roura, French Guiana 77411
|
_Bolivia_Wappes_Photo.jpg)
Photographer: Jim Wappes Collection Location: Bolivia 11064
|
_Bolivia_Wappes_Photo.jpg)
Photographer: Jim Wappes Collection Location: Bolivia 11065
|
 (Bates) Ramirez Coll Centro Fuerte, Rio Momon, Loreto, Peru SS.jpg)
Sex: f Institution: Ramirez Collection Photographer: Antonio Santos-Silva Collection Location: Centro Fuerte, Rio Momon, Loreto, Peru 100682
|