New Search Family, Subfamily and Tribe List

SubFamily Lamiinae

Tribe Tragocephalini
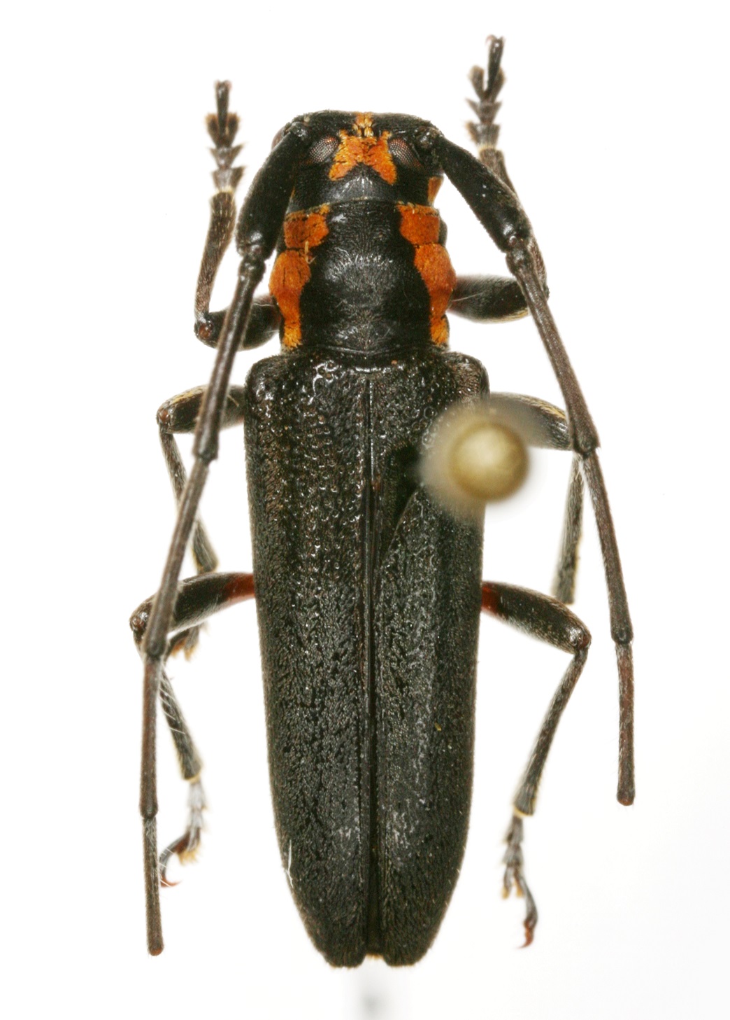
Arianida mactata Fairmaire 1903

Institution: Heffern Collection
Photographer: Dan Heffern
Determiner: Jerome Sudre
Collection Location: Madagascar
102120


Determiner: Faune de Madagascar
Collection Location: Madagascar
32363

130425