New Search Family, Subfamily and Tribe List

SubFamily Lepturinae

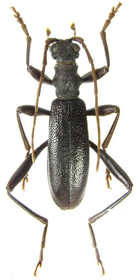
Tribe Teledapini
Teledapalpus zamotajlovi Miroshnikov 2000

Specimen Type: holotype
Sex: m
Institution: Murzin Collection
Photographer: Maxim Lazarev
Collection Location: Juizhaigou, N Sichuan, China
100839

130425