_Sama_Lambillionea.jpg)
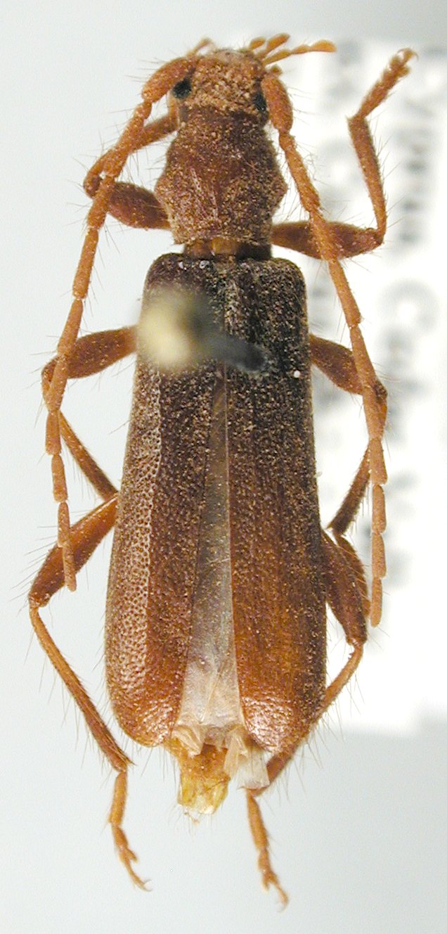
Specimen Type: holotype Sex: m Institution: Sama Collection Determiner: Lambillionea Collection Location: Paphos Forest sopra Pomos, Cyprus 32600
|

Institution: JCPC Jim Cope Collection, San Jose, California, USA now at CSCA, Sacramento Photographer: Larry G. Bezark Determiner: Jim Cope Collection Location: Cedar Valley, Cyprus 98967
|