_Holzschuh_S_India_Tamil_Nadu_Nilgiri_Hills.jpg)
Specimen Type: holotype Sex: m Institution: Holzschuh Collection Determiner: Entomologica Basiliensa et Collectionis Frey Collection Location: Nilgiri Hills, Tamil Nadu, India 52440
|
_Holzschuh_S_India_Meiying.jpg)
Specimen Type: paratype Sex: m Institution: IZAS Zoological Institute, Chinese Academy of Sciences, Beijing, China Photographer: Meiying Lin Collection Location: Nilgiri Hills, Tamil Nadu, India 42900
|
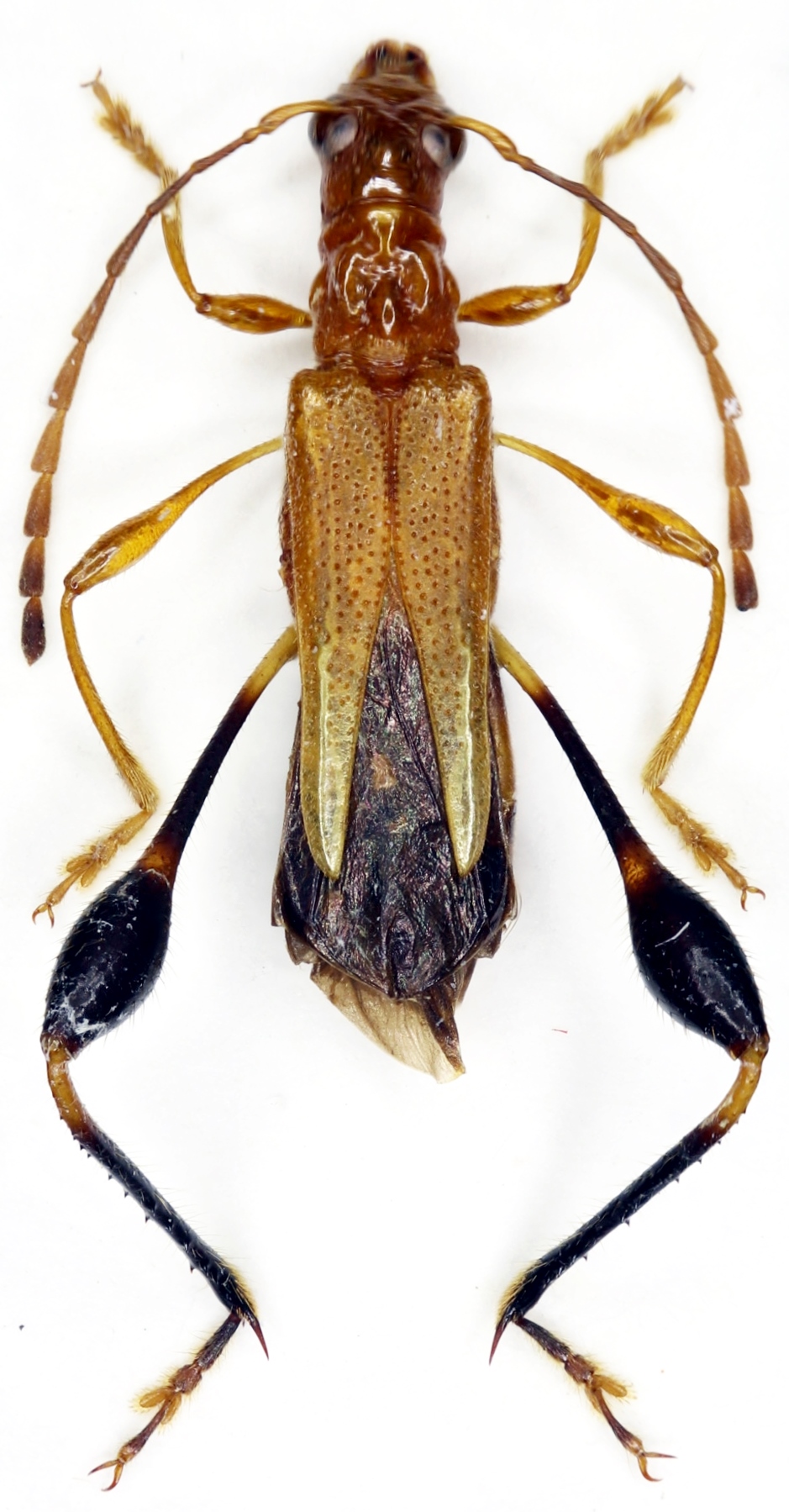
 Holzschuh 11km SE Kotagiri, Nilgiri Hills, Tamil Nadu, SE India JCPC LGB.jpg)
Specimen Type: paratype Sex: m Institution: JCPC Jim Cope Collection, San Jose, California, USA now at CSCA, Sacramento Photographer: Larry G. Bezark Determiner: Jim Cope Collection Location: 11km SE Kotagiri, Nilgiri Hills, Tamil Nadu, SE India 98239
|
 Holzschuh 11km SE Kotagiri, Nilgiri Hills, Tamil Nadu, SE India JCPC LGB.jpg)
Specimen Type: paratype Sex: f Institution: JCPC Jim Cope Collection, San Jose, California, USA now at CSCA, Sacramento Photographer: Larry G. Bezark Determiner: Jim Cope Collection Location: 11km SE Kotagiri, Nilgiri Hills, Tamil Nadu, SE India 98240
|
 Holzschuh Nilgiri Hills, Tamil Nadu, India Skale coll pic.jpg)
Specimen Type: paratype Institution: Skale Collection Photographer: Andre Skale Collection Location: Nilgiri Hills, Tamil Nadu, India 102264
|
|