New Search Family, Subfamily and Tribe List

SubFamily Cerambycinae

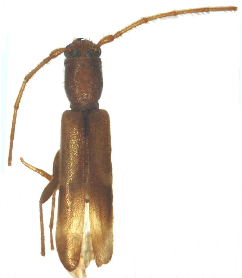
Tribe Oemini
Tetraommatus unifasciatus Murzin 1988

Specimen Type: holotype
Sex: f
Institution: Murzin Collection
Photographer: Maxim Lazarev
Collection Location: 5 km N Ankhe, Gia Lai Province, Vietnam
100840

130425