New Search Family, Subfamily and Tribe List

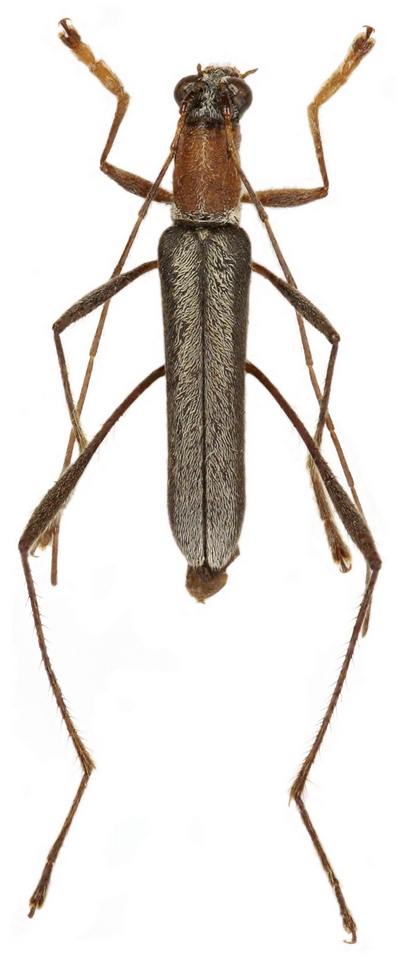
SubFamily Cerambycinae

Tribe Clytini
Psilomerus mindoroensis Viktora & Tichư 2017

Specimen Type: holotype
Sex: m
Institution: Viktora Collection
Photographer: Tomas Tichy
Collection Location: Mt Halcon, Mindoro, Philippines
102726

130425