New Search Family, Subfamily and Tribe List

SubFamily Cerambycinae

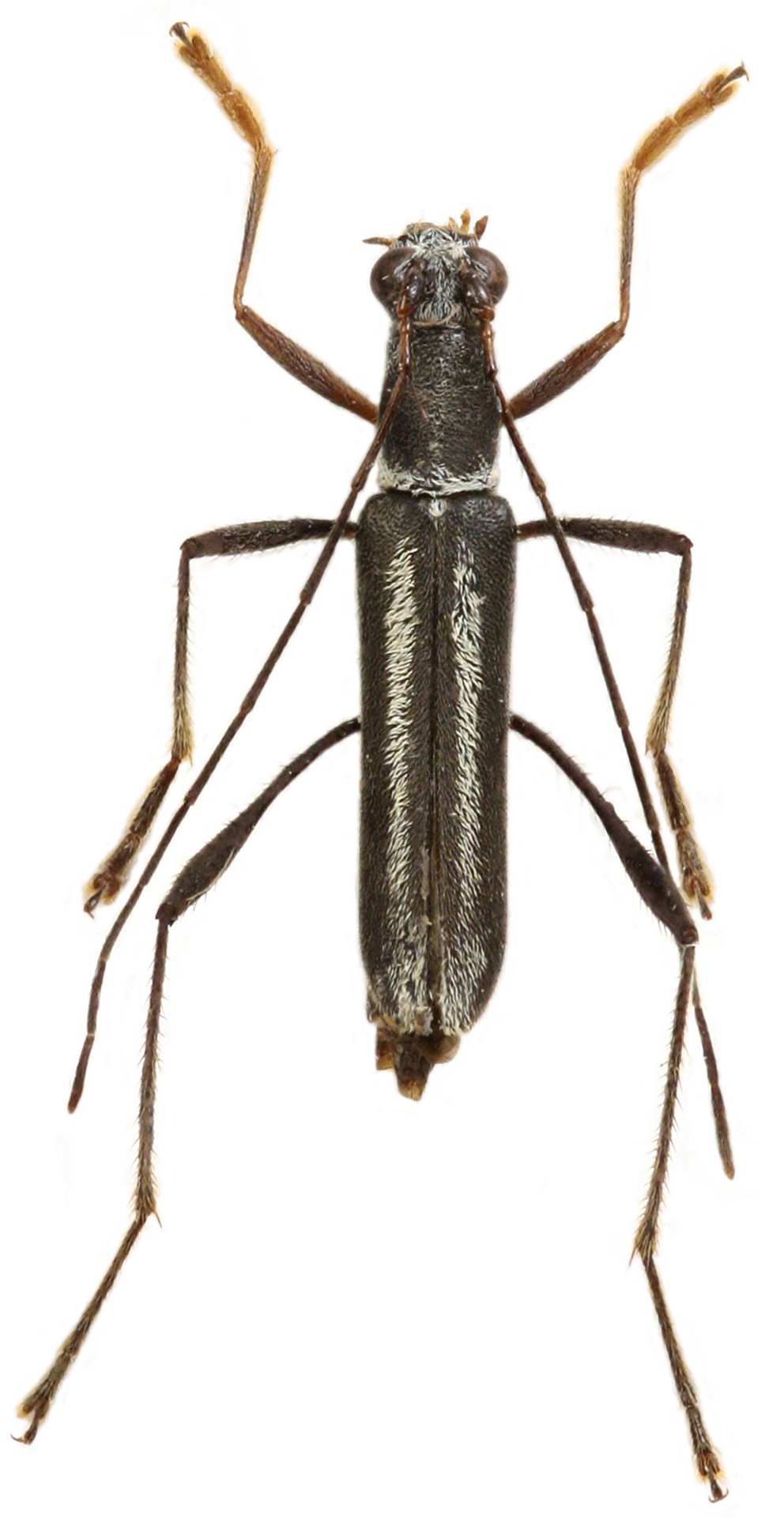
Tribe Clytini
Psilomerus vivesi Viktora & Tichư 2017

Specimen Type: holotype
Sex: m
Institution: Tichy Collection
Photographer: Tomas Tichy
Collection Location: Intavas, Bukidnon, Mindanao, Philippines
102322

130425