New Search Family, Subfamily and Tribe List

SubFamily Cerambycinae

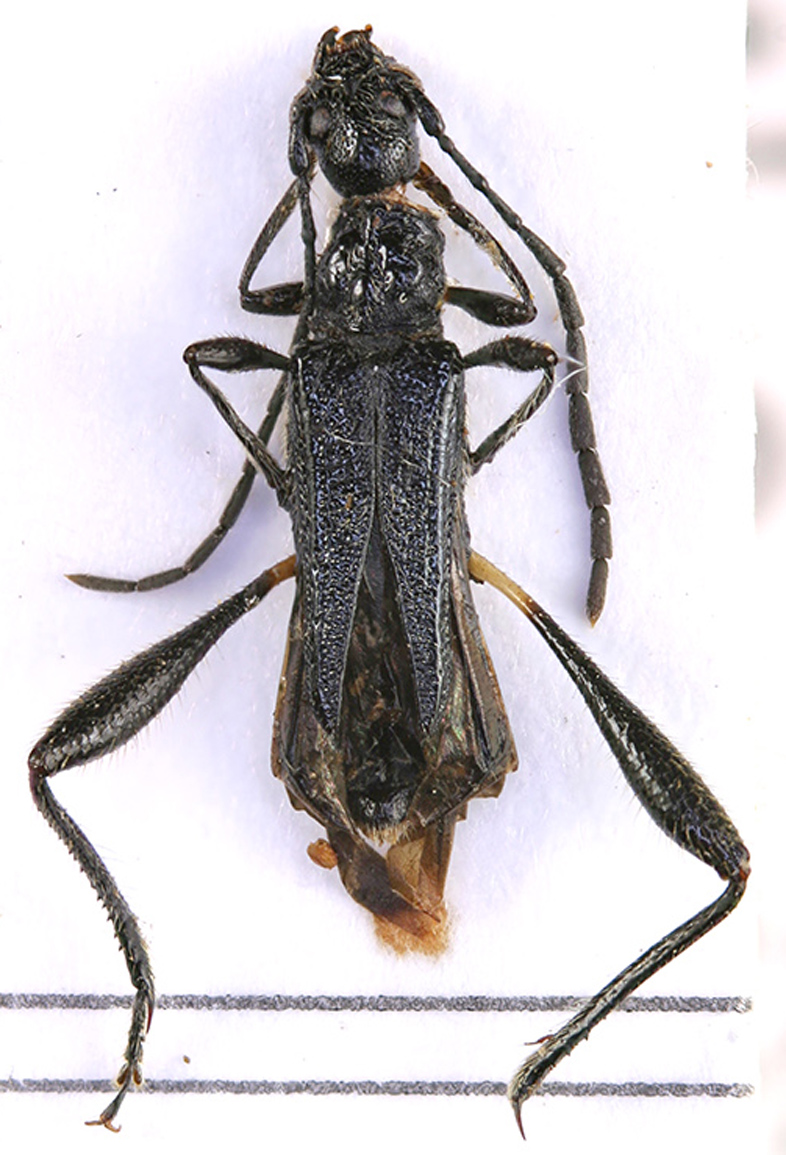
Tribe Stenopterini
Merionoeda barligi Vives 2015

Specimen Type: holotype
Sex: f
Institution: Vives Collection
Photographer: Xavier Gouverneur, Cerambycoidea Forum
Collection Location: Mt Barlig, N Luzon, Philippines
102263

130425