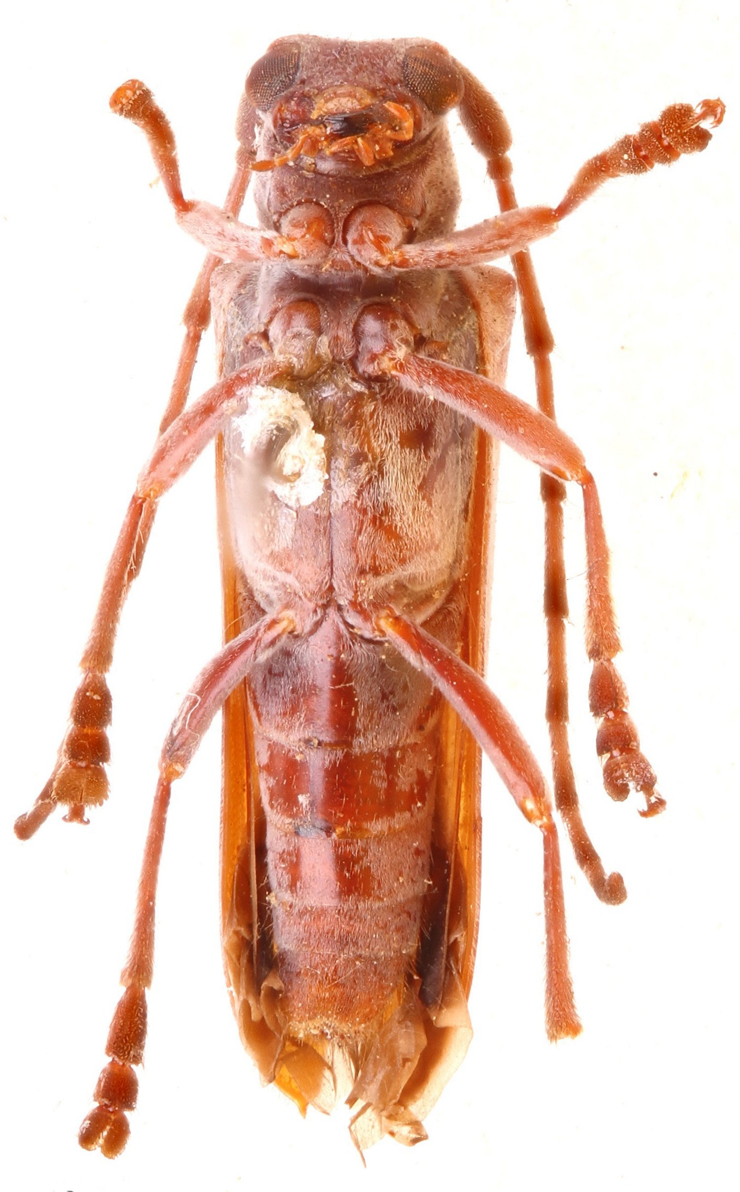
 Audureau IRSNB Mexico.jpg)
Specimen Type: holotype Sex: f Institution: IRSNB Royal Belgian Institute of Natural Sciences, Brussels, Belgium Photographer: Alain Audureau Collection Location: Mexico 98678
|
 Audureau IRSNB Mexico.jpg)
Specimen Type: holotype Sex: f Institution: IRSNB Royal Belgian Institute of Natural Sciences, Brussels, Belgium Photographer: Alain Audureau Collection Location: Mexico 98679
|
 Audureau IRSNB Mexico.jpg)
Specimen Type: holotype Sex: f Institution: IRSNB Royal Belgian Institute of Natural Sciences, Brussels, Belgium Photographer: Alain Audureau Collection Location: Mexico 98680
|
 Audureau IRSNB Mexico.jpg)
Specimen Type: holotype Sex: f Institution: IRSNB Royal Belgian Institute of Natural Sciences, Brussels, Belgium Photographer: Alain Audureau Collection Location: Mexico 98681
|
 Audureau IRSNB Mexico.jpg)
Specimen Type: holotype Sex: f Institution: IRSNB Royal Belgian Institute of Natural Sciences, Brussels, Belgium Photographer: Alain Audureau Collection Location: Mexico 98682
|
|