 Holzschuh Coll Kebun Sei Kopas, Sumatra LD.jpg)
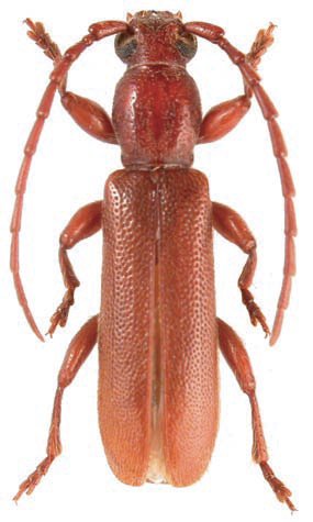
Specimen Type: holotype Sex: m Institution: Holzschuh Collection Photographer: Lubos Dembicky Collection Location: Kebun Sei Kopas, Sumatra 100771
|
 Holzschuh Coll Kebun Sei Kopas, Sumatra Bruno Brudermann.jpg)
Specimen Type: paratype Sex: f Institution: Holzschuh Collection Photographer: Lubos Dembicky Collection Location: Kebun Sei Kopas, Sumatra 100772
|