New Search Family, Subfamily and Tribe List

SubFamily Cerambycinae

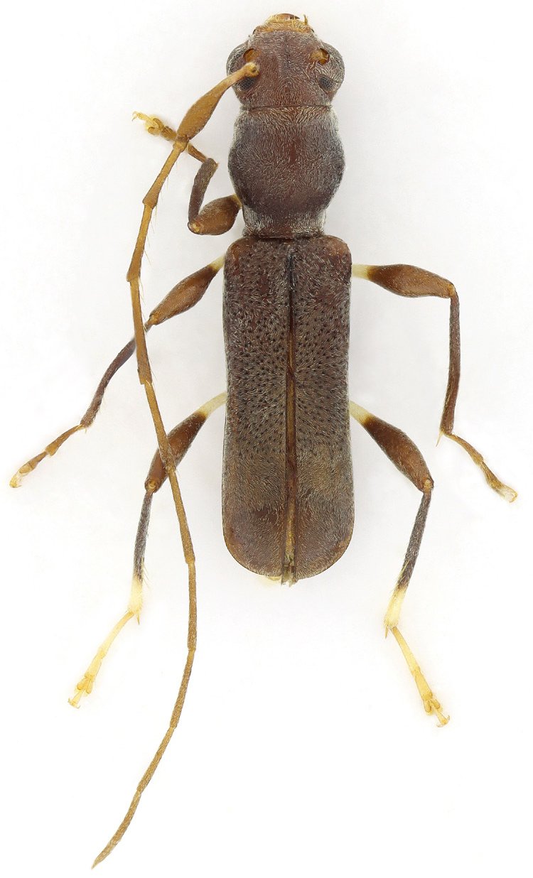
Tribe Obriini
Iphra rakovici Viktora 2025

Specimen Type: holotype
Sex: m
Institution: Viktora Collection
Photographer: Petr Viktora
Collection Location: Roxas, Palawan, Philippines
100826

130425