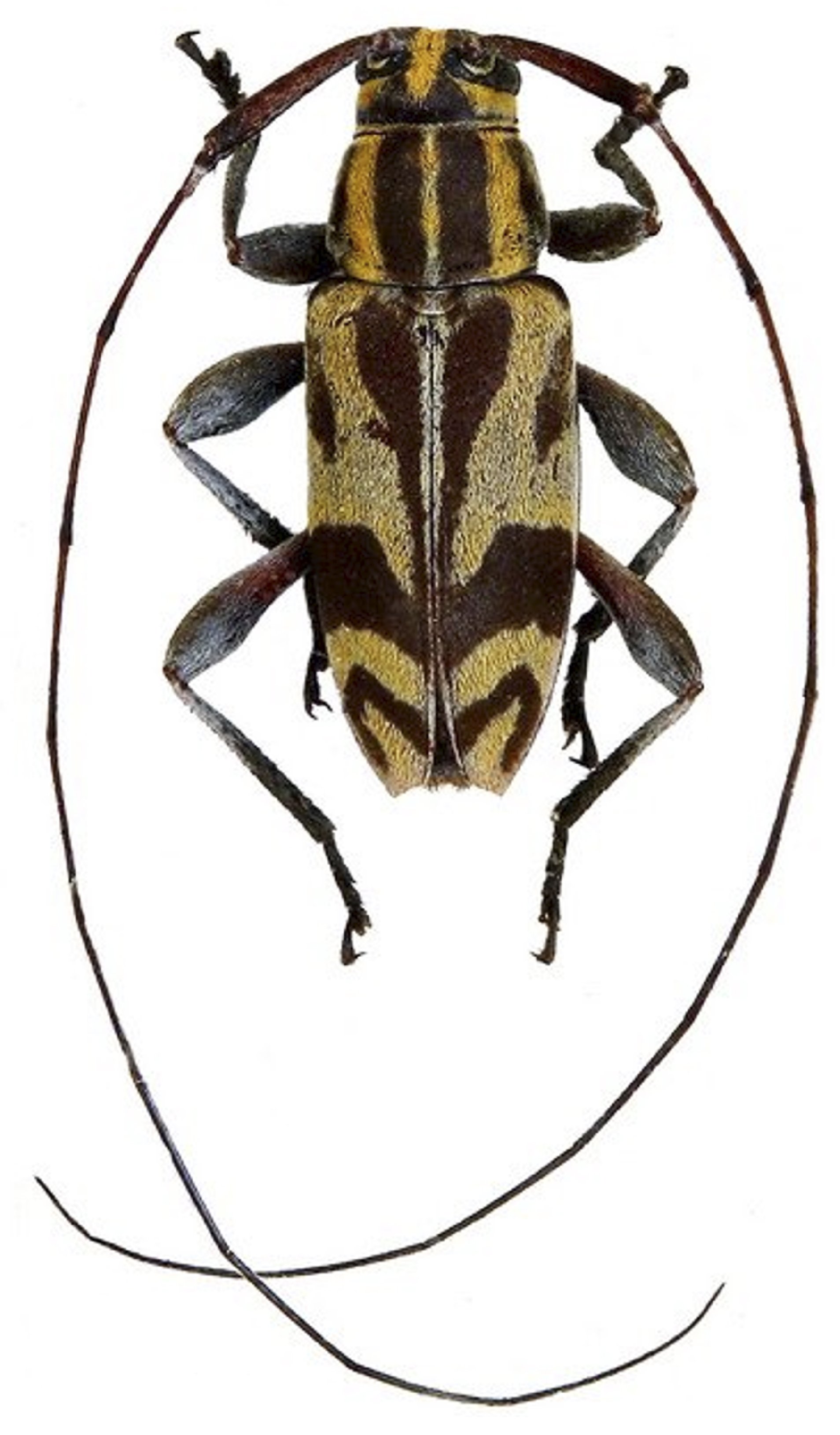
 SS et al CASC Crique Blanche, French Guiana SS.jpg)
Specimen Type: holotype Sex: f Institution: CAS California Academy of Sciences, San Francisco, CA, USA Photographer: Antonio Santos-Silva Collection Location: Crique Blanche, French Guiana 100848
|
 SS et al CASC Crique Blanche, French Guiana SS.jpg)
Specimen Type: holotype Sex: f Institution: CAS California Academy of Sciences, San Francisco, CA, USA Photographer: Antonio Santos-Silva Collection Location: Crique Blanche, French Guiana 100849
|
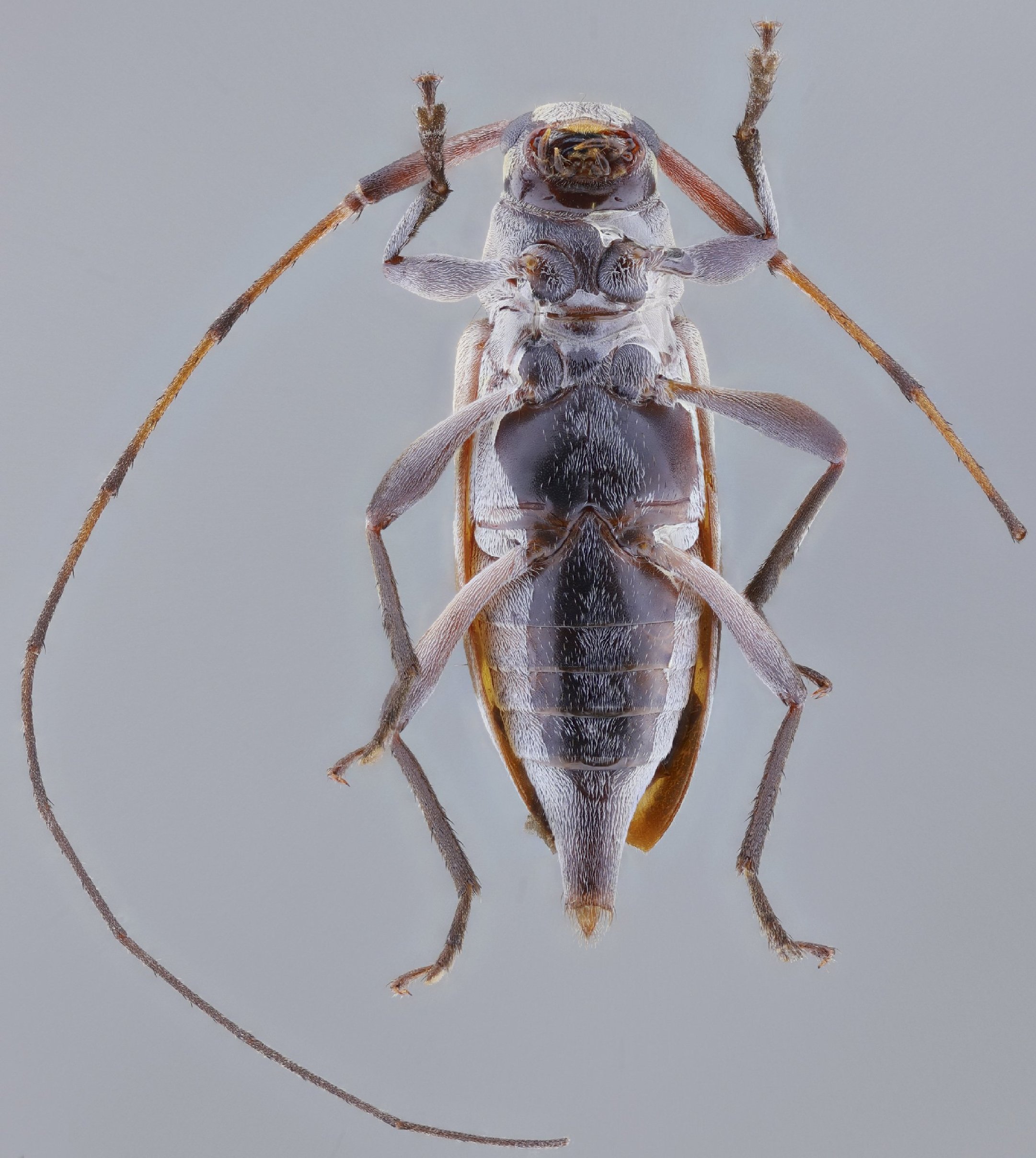
 SS et al CASC Crique Blanche, French Guiana SS.jpg)
Specimen Type: holotype Sex: f Institution: CAS California Academy of Sciences, San Francisco, CA, USA Photographer: Antonio Santos-Silva Collection Location: Crique Blanche, French Guiana 100850
|
 SS et al CASC Crique Blanche, French Guiana SS.jpg)
Specimen Type: holotype Sex: f Institution: CAS California Academy of Sciences, San Francisco, CA, USA Photographer: Antonio Santos-Silva Collection Location: Crique Blanche, French Guiana 100851
|
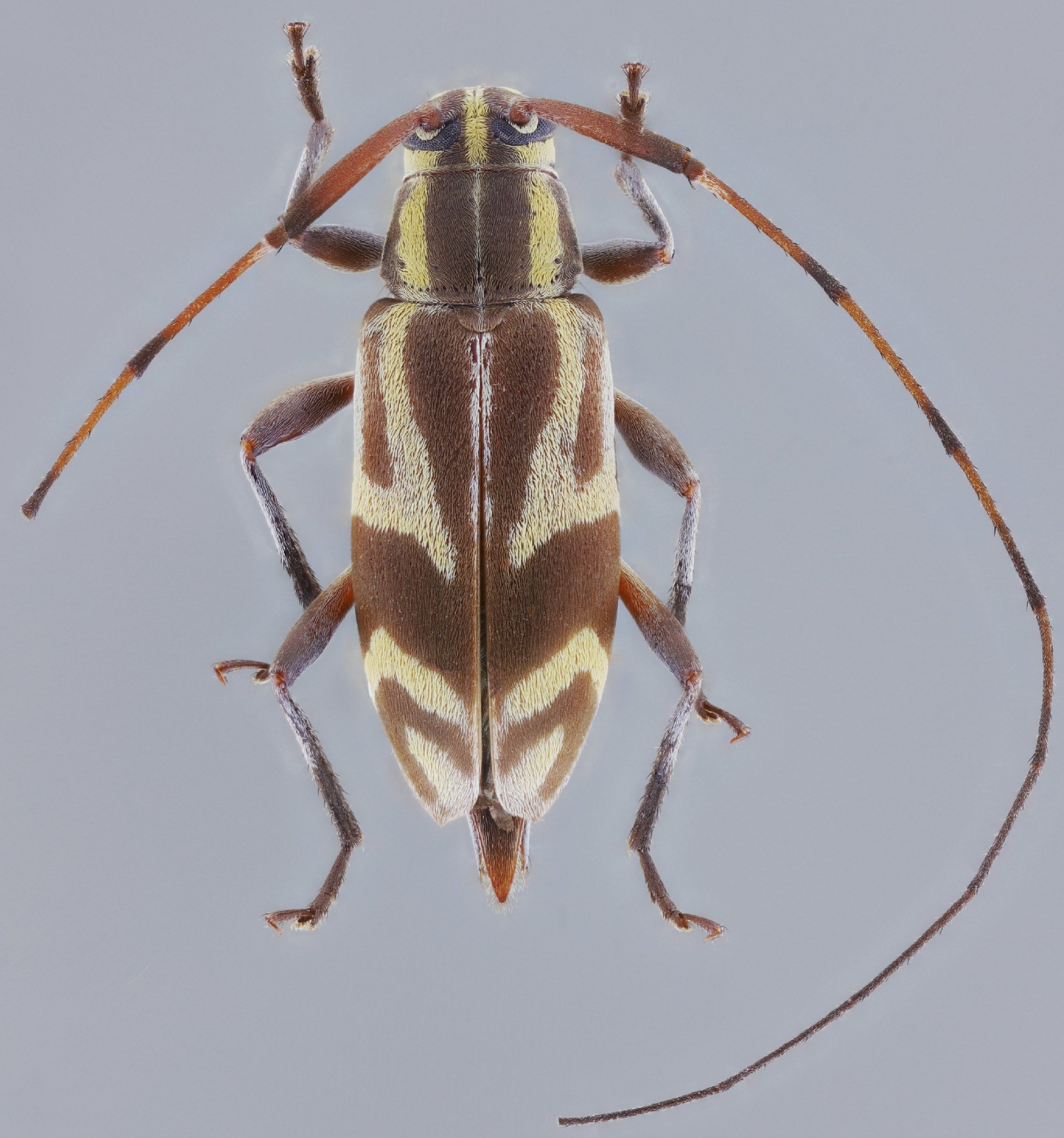
 SS et al LGBC Crique Blanche, French Guiana JLG.jpg)
Specimen Type: paratype Sex: m Institution: LGBC Larry G. Bezark Collection, Sacramento, California, USA Photographer: Jean-Louis Guiglaris Collection Location: Crique Blanche, French Guiana 100852
|
|