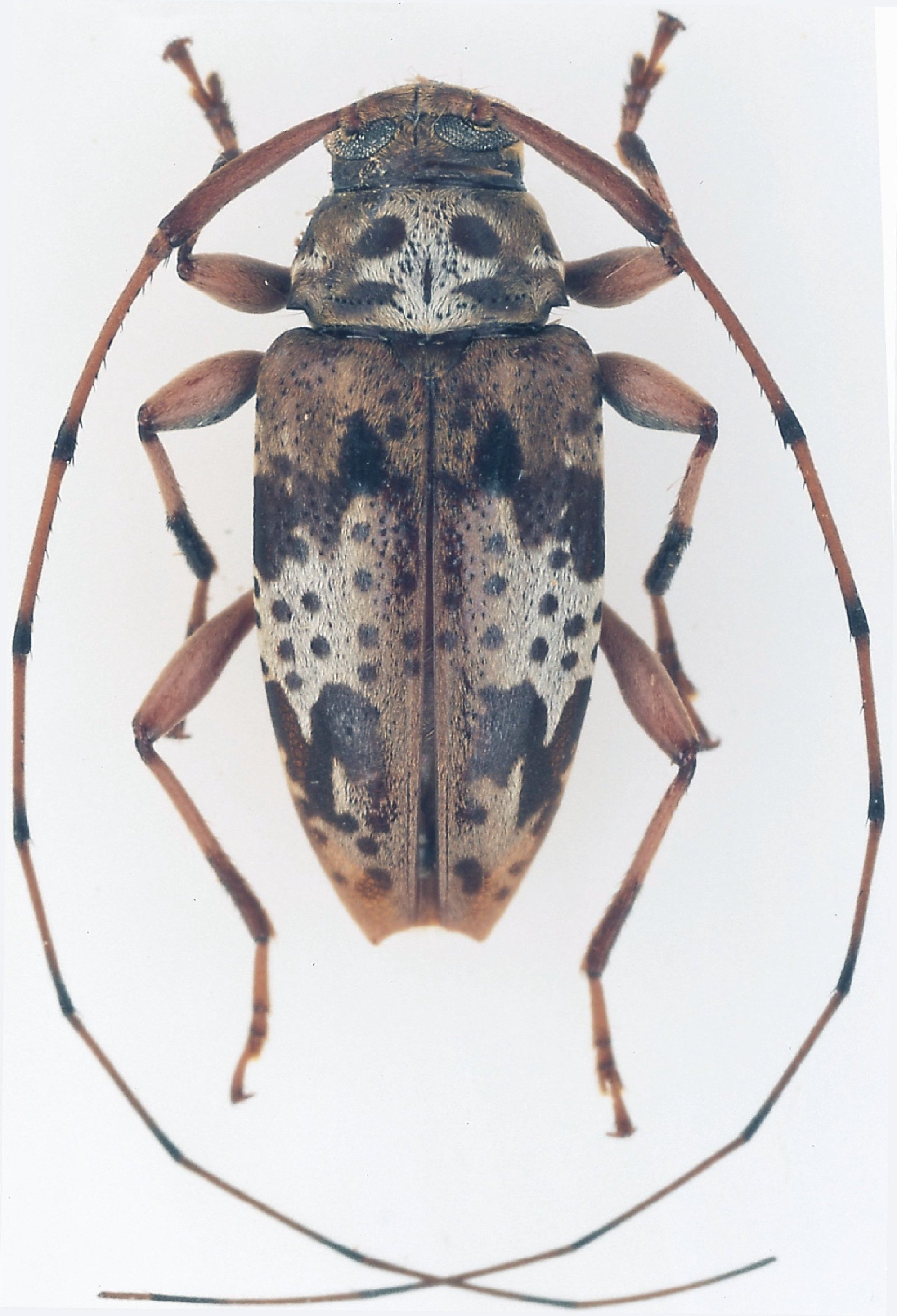
 SS et al FSCA Amazone Nature Lodge, Kaw Mtn, Fr Guina SS.jpg)
Specimen Type: holotype Sex: m Institution: FSCA Florida State Collection of Arthropods, Gainesville, FL, USA Photographer: Antonio Santos-Silva Collection Location: Amazone Nature Lodge, Kaw Mountain, French Guiana 100853
|
 SS et al FSCA Amazone Nature Lodge, Kaw Mtn, Fr Guina SS.jpg)
Specimen Type: holotype Sex: m Institution: FSCA Florida State Collection of Arthropods, Gainesville, FL, USA Photographer: Antonio Santos-Silva Collection Location: Amazone Nature Lodge, Kaw Mountain, French Guiana 100854
|
 SS et al FSCA Amazone Nature Lodge, Kaw Mtn, Fr Guina SS.jpg)
Specimen Type: holotype Sex: m Institution: FSCA Florida State Collection of Arthropods, Gainesville, FL, USA Photographer: Antonio Santos-Silva Collection Location: Amazone Nature Lodge, Kaw Mountain, French Guiana 100855
|
 SS et al FSCA Amazone Nature Lodge, Kaw Mtn, Fr Guina SS.jpg)
Specimen Type: holotype Sex: m Institution: FSCA Florida State Collection of Arthropods, Gainesville, FL, USA Photographer: Antonio Santos-Silva Collection Location: Amazone Nature Lodge, Kaw Mountain, French Guiana 100856
|
 SS et al Morvan coll Haute Mana, Saint Leon, Fr G Morvan pic.jpg)
Specimen Type: destroyed at MNRJ Sex: m Institution: MNHN Museum of Natural History Paris, France Photographer: Odette Morvan Collection Location: Haute Mana, Saint Leon, French Guiana 100857
|
|