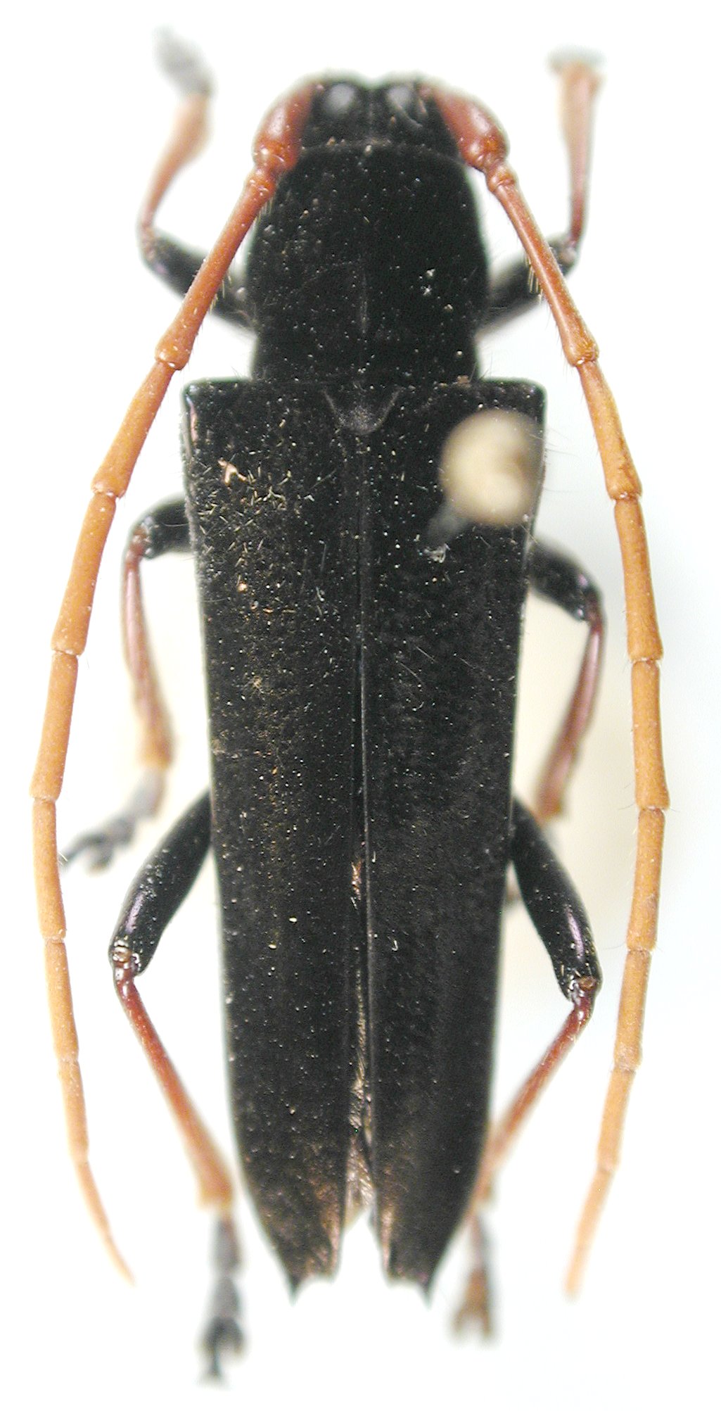
 Vitali Coll Mamasa, Sulawesi Barat, Indonesia.jpg)
Glenea bifasciata Vitali Specimen Type: holotype Sex: f Institution: Vitali Collection Photographer: Francesco Vitali Collection Location: Mamasa, Sulawesi Barat, Indonesia 100864
|
 Vitali LGB Makki, Sulawesi LGB pic.jpg)
Glenea bifasciata Vitali Specimen Type: paratype Sex: m Institution: LGBC Larry G. Bezark Collection, Sacramento, California, USA Photographer: Larry G. Bezark Collection Location: Makki, Sulawesi, Indonesia 100865
|
 Vitali LGB Makki, Sulawesi LGB pic.jpg)
Glenea bifasciata Vitali Specimen Type: paratype Sex: m Institution: LGBC Larry G. Bezark Collection, Sacramento, California, USA Photographer: Larry G. Bezark Collection Location: Makki, Sulawesi, Indonesia 100866
|
 Vitali LGB Makki, Sulawesi LGB pic.jpg)
Glenea bifasciata Vitali Specimen Type: paratype Sex: m Institution: LGBC Larry G. Bezark Collection, Sacramento, California, USA Photographer: Larry G. Bezark Collection Location: Makki, Sulawesi, Indonesia 100867
|
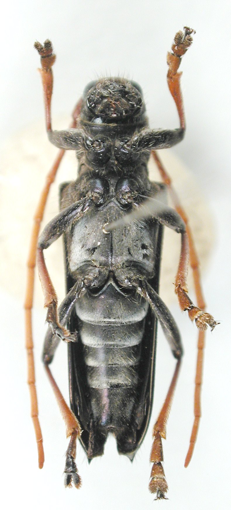
 LGBC Makki, S Sulawesi LGB.jpg)
Glenea bifasciata Vitali Specimen Type: paratype Sex: f Institution: LGBC Larry G. Bezark Collection, Sacramento, California, USA Photographer: Larry G. Bezark Collection Location: Makki, Sulawesi, Indonesia 100868
|
 Vitali Coll Mamasa, Sulawesi Barat, Indonesia.jpg)
Glenea bifasciata Vitali Specimen Type: paratype Sex: f Institution: Vitali Collection Photographer: Francesco Vitali Collection Location: Mamasa, Sulawesi Barat, Indonesia 100869
|
|