 SS Bez Botero CSCA 3 km N Playa del Carmen, QR, Mexico SS.jpg)
Specimen Type: holotype Sex: f Institution: CSCA California State Collection of Arthropods, Sacramento, California Photographer: Antonio Santos-Silva Collection Location: 3 km N Playa del Carmen, Quintana Roo, Mexico 101280
|
 SS Bez Botero CSCA 3 km N Playa del Carmen, QR, Mexico SS.jpg)
Specimen Type: holotype Sex: f Institution: CSCA California State Collection of Arthropods, Sacramento, California Photographer: Antonio Santos-Silva Collection Location: 3 km N Playa del Carmen, Quintana Roo, Mexico 101281
|
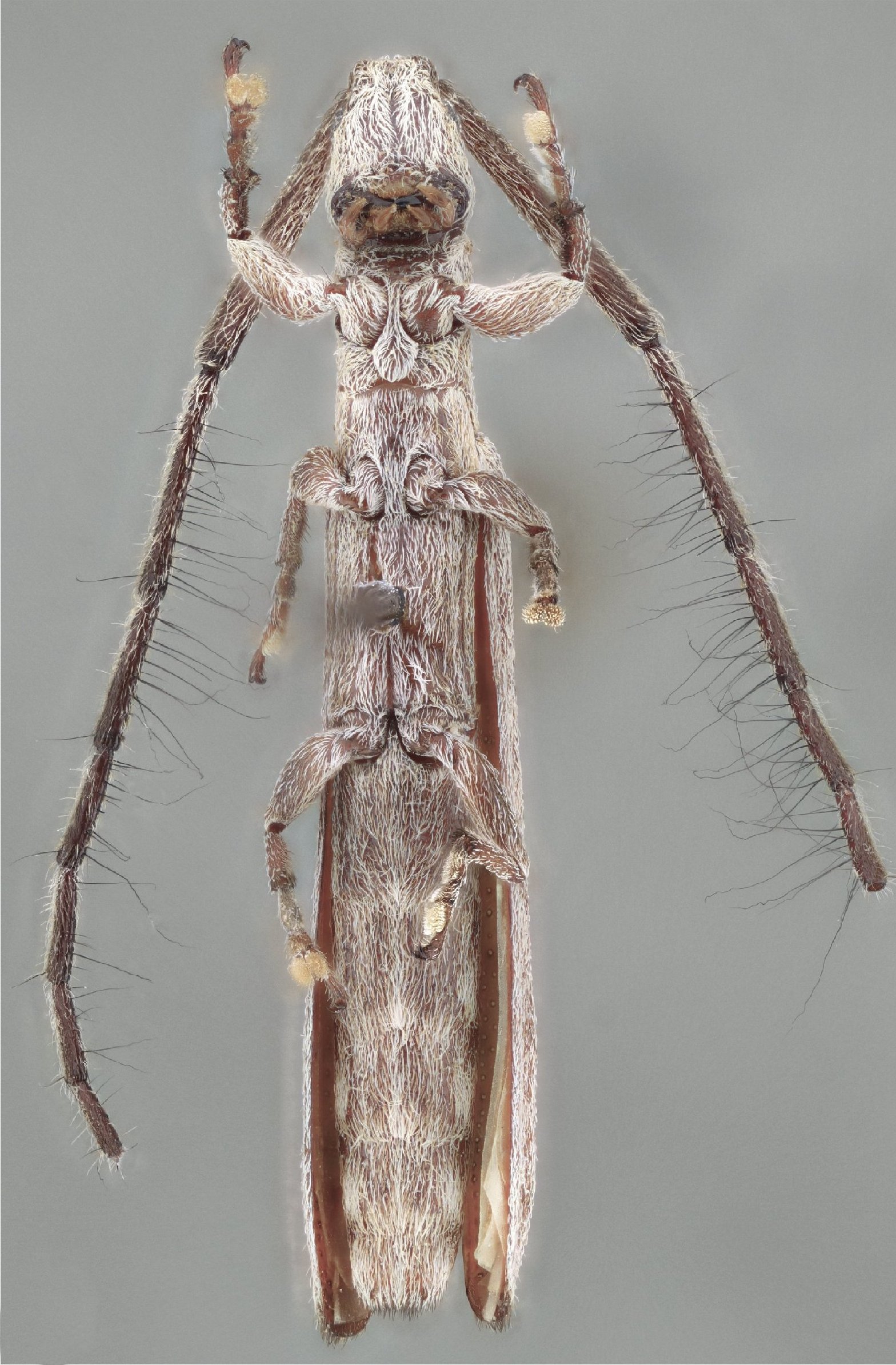
 SS Bez Botero CSCA 3 km N Playa del Carmen, QR, Mexico SS.jpg)
Specimen Type: holotype Sex: f Institution: CSCA California State Collection of Arthropods, Sacramento, California Photographer: Antonio Santos-Silva Collection Location: 3 km N Playa del Carmen, Quintana Roo, Mexico 101282
|
 SS Bez Botero CSCA 3 km N Playa del Carmen, QR, Mexico SS.jpg)
Specimen Type: holotype Sex: f Institution: CSCA California State Collection of Arthropods, Sacramento, California Photographer: Antonio Santos-Silva Collection Location: 3 km N Playa del Carmen, Quintana Roo, Mexico 101283
|
|