New Search Family, Subfamily and Tribe List

SubFamily Cerambycinae

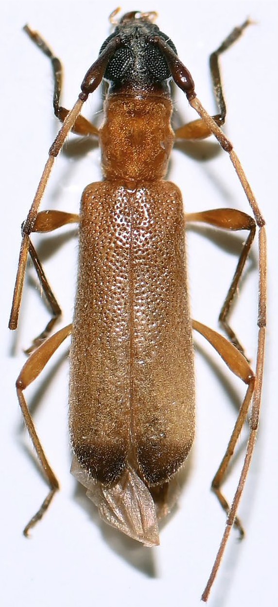
Tribe Obriini
Kuegleria oculata Holzschuh 2025

Specimen Type: holotype
Sex: f
Institution: Holzschuh Collection
Photographer: Carolus Holzschuh
Collection Location: Pulau, Lang Kawi, Malaysian Peninsula
101381

130425