 Vlasak SS MZSP Vicinity Macara, Loja, Ecuador.jpg)
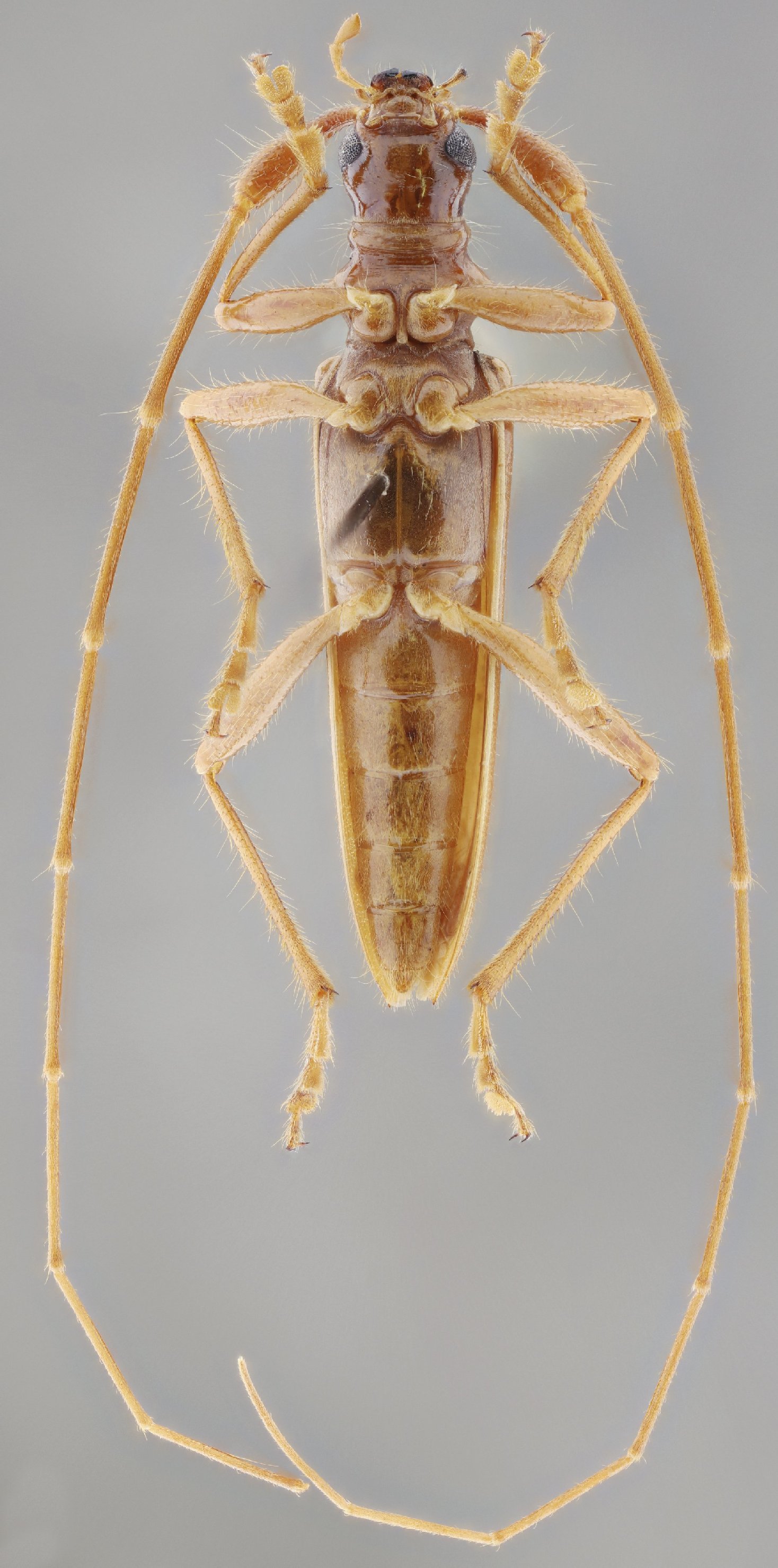
Specimen Type: holotype Sex: m Institution: MZSP Museu de Zoologia da Universidade de São Paulo, Brazil Photographer: Antonio Santos-Silva Collection Location: Vicinity of Macara, Loja, Ecuador 101574
|
 Vlasak SS MZSP Vicinity Macara, Loja, Ecuador.jpg)
Specimen Type: holotype Sex: m Institution: MZSP Museu de Zoologia da Universidade de São Paulo, Brazil Photographer: Antonio Santos-Silva Collection Location: Vicinity of Macara, Loja, Ecuador 101575
|
 Vlasak SS MZSP Vicinity Macara, Loja, Ecuador.jpg)
Specimen Type: holotype Sex: m Institution: MZSP Museu de Zoologia da Universidade de São Paulo, Brazil Photographer: Antonio Santos-Silva Collection Location: Vicinity of Macara, Loja, Ecuador 101576
|
 Vlasak SS MZSP Vicinity Macara, Loja, Ecuador.jpg)
Specimen Type: holotype Sex: m Institution: MZSP Museu de Zoologia da Universidade de São Paulo, Brazil Photographer: Antonio Santos-Silva Collection Location: Vicinity of Macara, Loja, Ecuador 101577
|
|