 Vlasak SS MZSP Vicinity Macara, Loja, Ecuador.jpg)
Specimen Type: holotype Sex: f Institution: MZSP Museu de Zoologia da Universidade de São Paulo, Brazil Photographer: Antonio Santos-Silva Collection Location: Vicinity of Macara, Loja, Ecuador 101586
|
 Vlasak SS MZSP Vicinity Macara, Loja, Ecuador.jpg)
Specimen Type: holotype Sex: f Institution: MZSP Museu de Zoologia da Universidade de São Paulo, Brazil Photographer: Antonio Santos-Silva Collection Location: Vicinity of Macara, Loja, Ecuador 101587
|
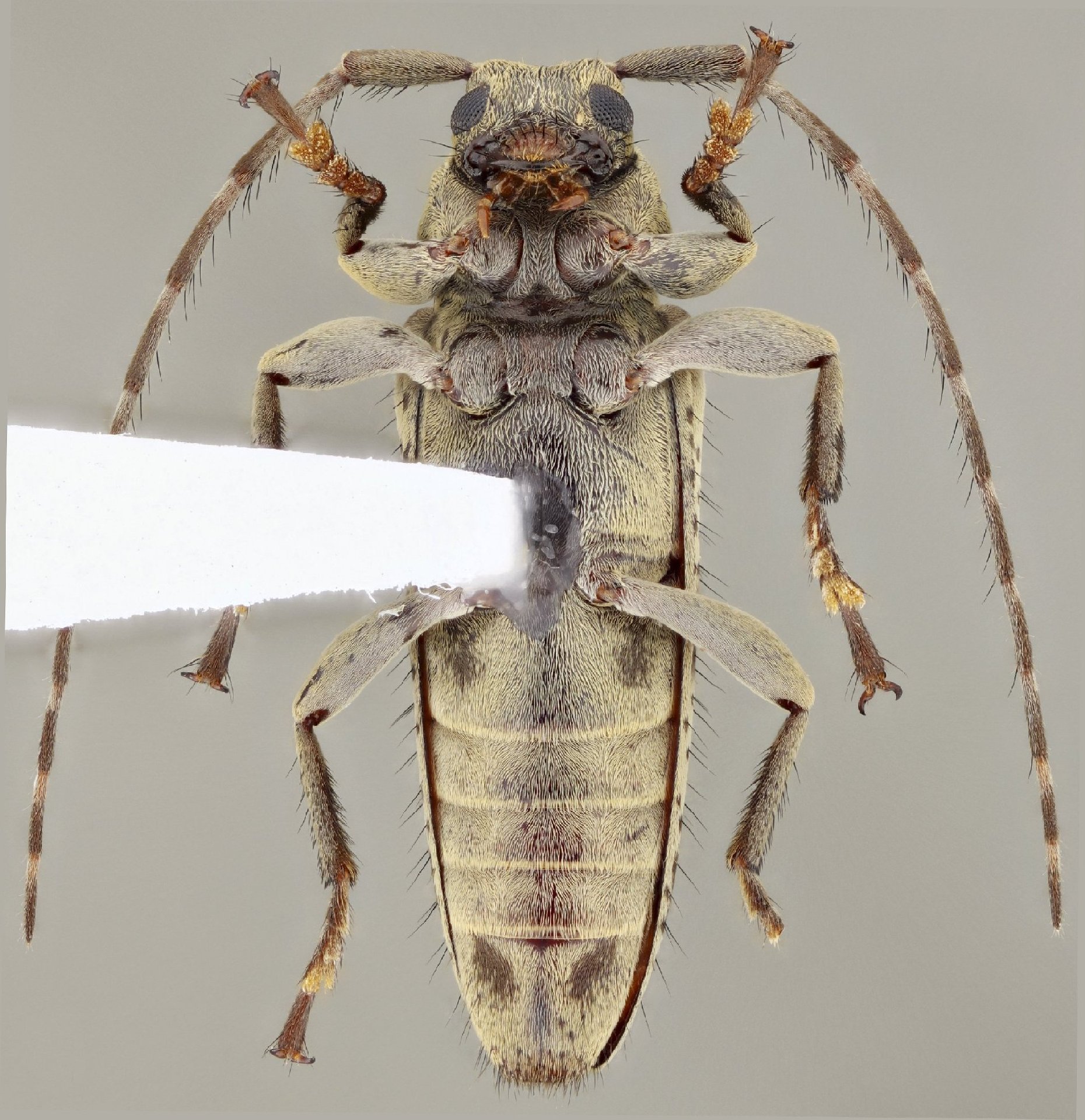
 Vlasak SS MZSP Vicinity Macara, Loja, Ecuador.jpg)
Specimen Type: holotype Sex: f Institution: MZSP Museu de Zoologia da Universidade de São Paulo, Brazil Photographer: Antonio Santos-Silva Collection Location: Vicinity of Macara, Loja, Ecuador 101588
|
 Vlasak SS MZSP Vicinity Macara, Loja, Ecuador.jpg)
Specimen Type: holotype Sex: f Institution: MZSP Museu de Zoologia da Universidade de São Paulo, Brazil Photographer: Antonio Santos-Silva Collection Location: Vicinity of Macara, Loja, Ecuador 101589
|
|