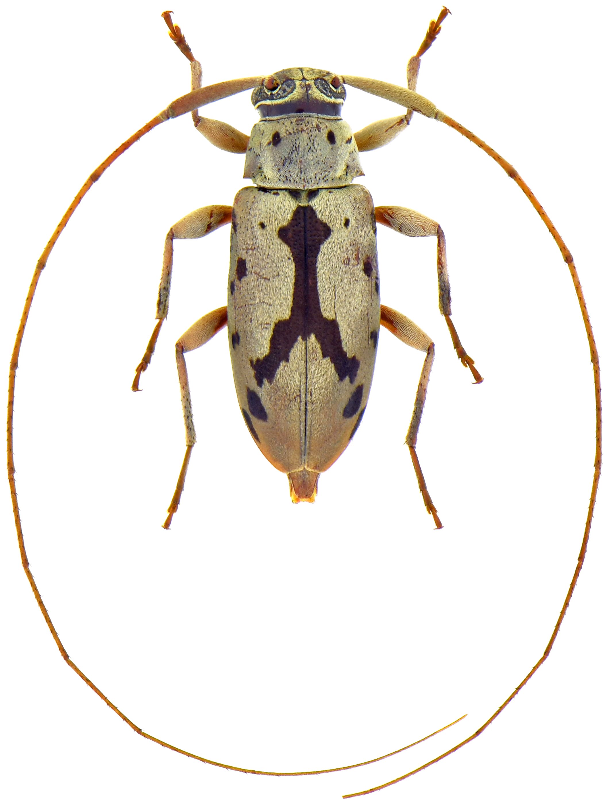
 Roguet Coll Camino del Oleoduco, Soberiana NP, Panama.jpg)
Specimen Type: holotype Sex: f Institution: Roguet Collection Photographer: JP Roguet, https://lamiinae.org Collection Location: Camino del Oleoduco, Soberiana National Park, Panama 102705
|
 Roguet Coll Camino del Oleoduco, Soberiana NP, Panama.jpg)
Specimen Type: holotype Sex: f Institution: Roguet Collection Photographer: JP Roguet Collection Location: Camino del Oleoduco, Soberiana National Park, Panama 102706
|
 Roguet Coll Camino del Oleoduco, Soberiana NP, Panama.jpg)
Specimen Type: holotype Sex: f Institution: Roguet Collection Photographer: JP Roguet Collection Location: Camino del Oleoduco, Soberiana National Park, Panama 102707
|
 Roguet Coll Camino del Oleoduco, Soberiana NP, Panama.jpg)
Specimen Type: holotype Sex: f Institution: Roguet Collection Photographer: JP Roguet Collection Location: Camino del Oleoduco, Soberiana National Park, Panama 102708
|

Specimen Type: paratype Institution: LGBC Larry G. Bezark Collection, Sacramento, California, USA Photographer: Larry G. Bezark Collection Location: Barro Colorado Island, Panama 25052
|

Specimen Type: paratype Institution: LGBC Larry G. Bezark Collection, Sacramento, California, USA Photographer: Larry G. Bezark Collection Location: Barro Colorado Island, Panama 25053
|
|