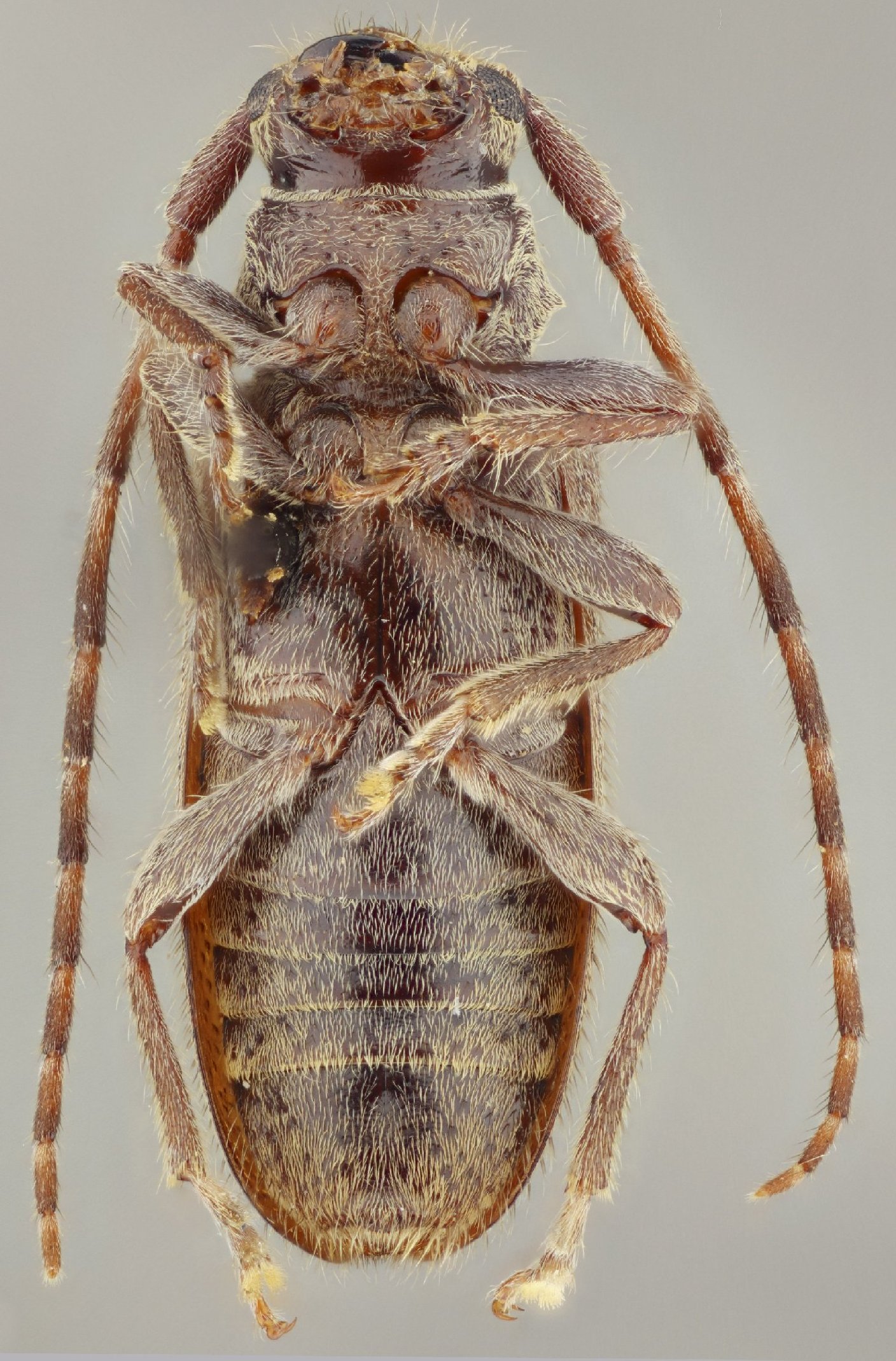
 SS Nasc Bez CSCA 40 km S Iguala, Guerrero, Mexico SS.jpg)
Specimen Type: holotype Sex: m Institution: CAS California Academy of Sciences, San Francisco, CA, USA Photographer: Antonio Santos-Silva Collection Location: 40 km S Iguala, Guerrero, Mexico 102817
|
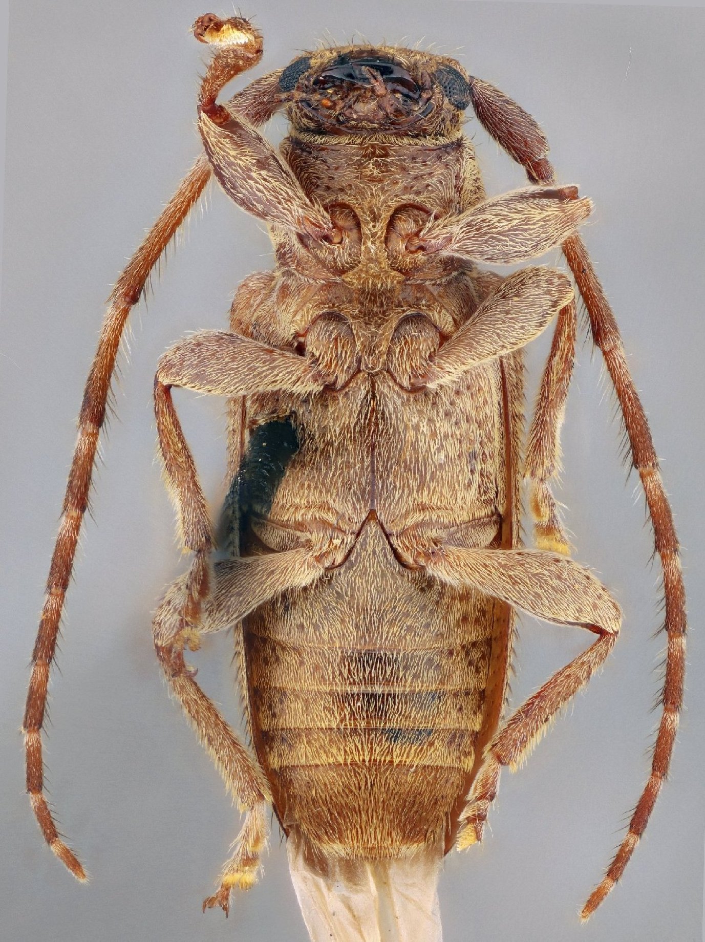
 SS Nasc Bez CSCA 40 km S Iguala, Guerrero, Mexico SS.jpg)
Specimen Type: holotype Sex: m Institution: CAS California Academy of Sciences, San Francisco, CA, USA Photographer: Antonio Santos-Silva Collection Location: 40 km S Iguala, Guerrero, Mexico 102818
|
 SS Nasc Bez CSCA 40 km S Iguala, Guerrero, Mexico SS.jpg)
Specimen Type: holotype Sex: m Institution: CAS California Academy of Sciences, San Francisco, CA, USA Photographer: Antonio Santos-Silva Collection Location: 40 km S Iguala, Guerrero, Mexico 102819
|
 SS Nasc Bez CSCA 40 km S Iguala, Guerrero, Mexico SS.jpg)
Specimen Type: holotype Sex: m Institution: CAS California Academy of Sciences, San Francisco, CA, USA Photographer: Antonio Santos-Silva Collection Location: 40 km S Iguala, Guerrero, Mexico 102820
|
 SS Nasc Bez MZSP 12 km E Telolaplan SS.jpg)
Specimen Type: paratype Sex: f Institution: MZSP Museu de Zoologia da Universidade de São Paulo, Brazil Photographer: Antonio Santos-Silva Collection Location: 12 km E Teloloaplan, Guerrero, Mexico 102821
|
 SS Nasc Bez MZSP 12 km E Telolaplan SS.jpg)
Specimen Type: paratype Sex: f Institution: MZSP Museu de Zoologia da Universidade de São Paulo, Brazil Photographer: Antonio Santos-Silva Collection Location: 12 km E Teloloaplan, Guerrero, Mexico 102822
|
|