New Search Family, Subfamily and Tribe List

SubFamily Lamiinae

Tribe Apomecynini
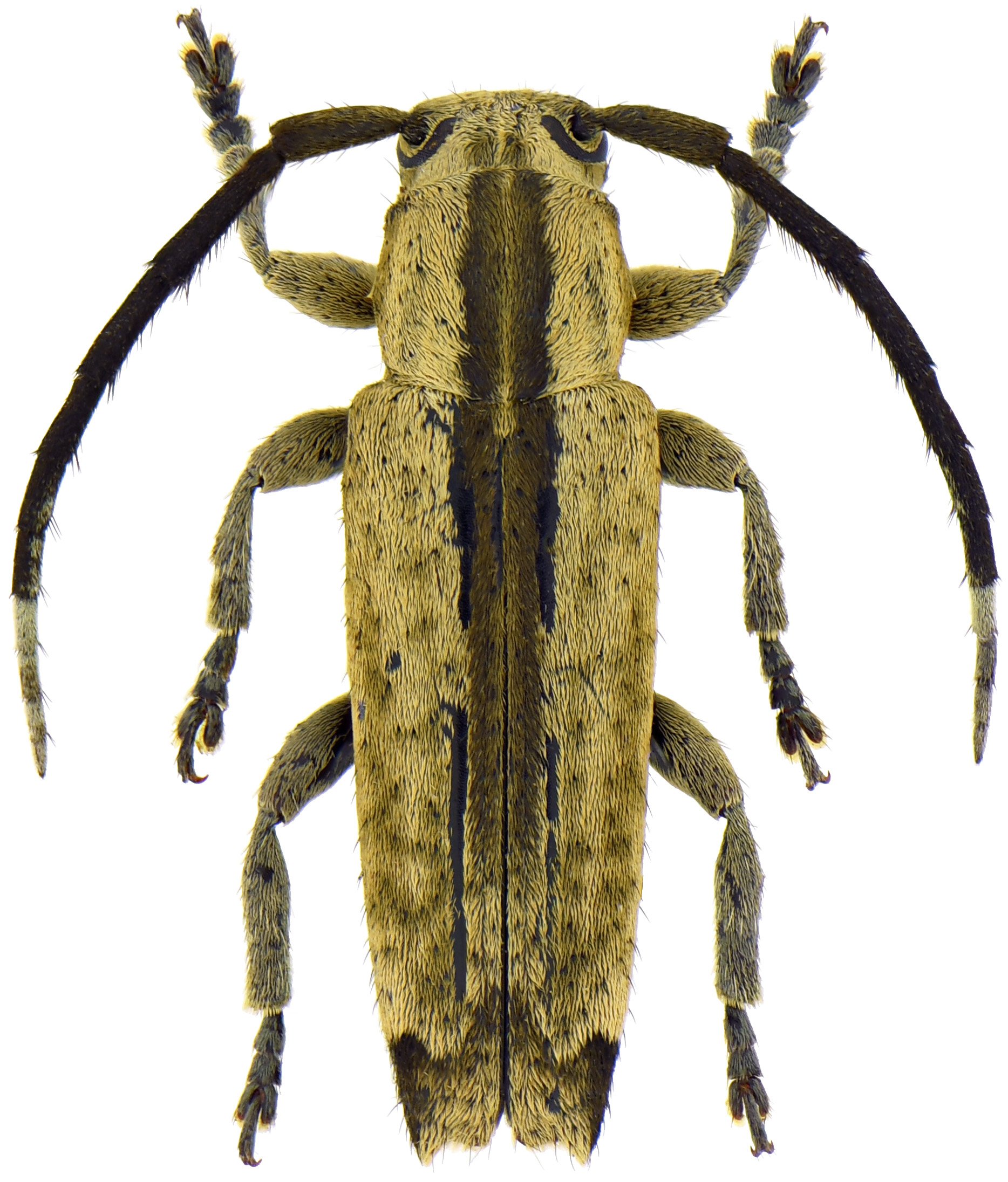
Ptericoptus similis Breuning 1939

Sex: f
Institution: Roguet Collection
Photographer: JP Roguet
Collection Location: La Victoria, Tejerias, Venezuela
102709

130425