New Search Family, Subfamily and Tribe List
new world both worldsboth worlds old world
Family Cerambycinae
SubFamily Cerambycinae
Tribe Bothriospilini

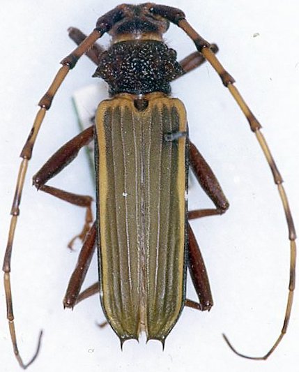
Genus Chlorida


Chlorida
cincta


Chlorida
costata


Chlorida
curta


Chlorida
denticulata


Chlorida
fasciata


Chlorida
festiva


Chlorida
inexpectata


Chlorida
obliqua


Chlorida
spinosa


Chlorida
transversalis

130503