New Search Family, Subfamily and Tribe List
new world both worldsboth worlds old world
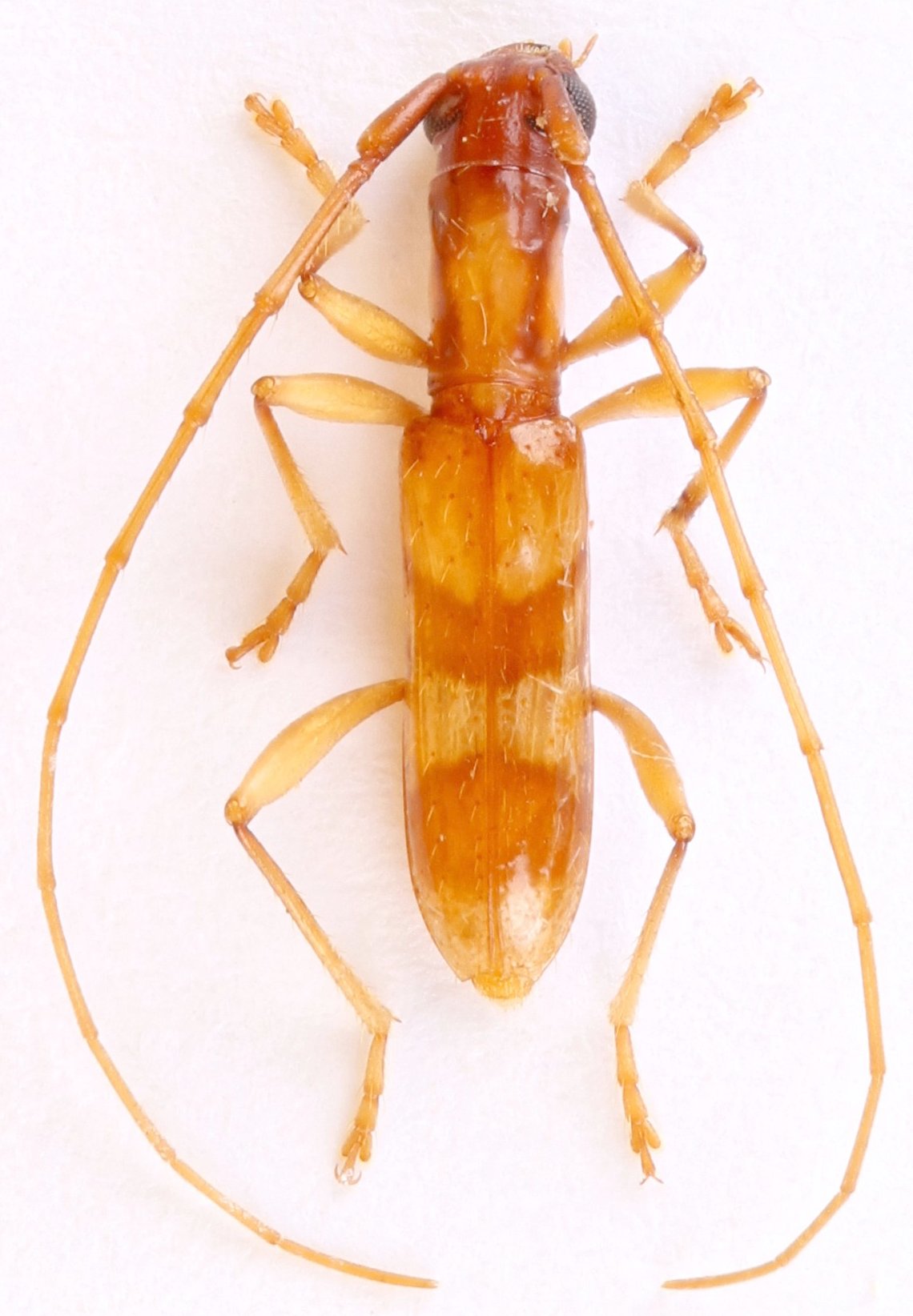
Family Cerambycinae
SubFamily Cerambycinae
Tribe Tropidini Compsina

Genus Compsoides


Compsoides
martinsi

130503