New Search Family, Subfamily and Tribe List
new world both worldsboth worlds old world
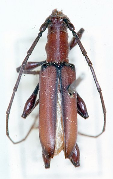
Family Cerambycinae
SubFamily Cerambycinae
Tribe Graciliini

Genus Elaphopsis


Elaphopsis
earina


Elaphopsis
rubida

130503