New Search Family, Subfamily and Tribe List
new world both worldsboth worlds old world
Family Lamiinae
SubFamily Lamiinae
Tribe Mesosini

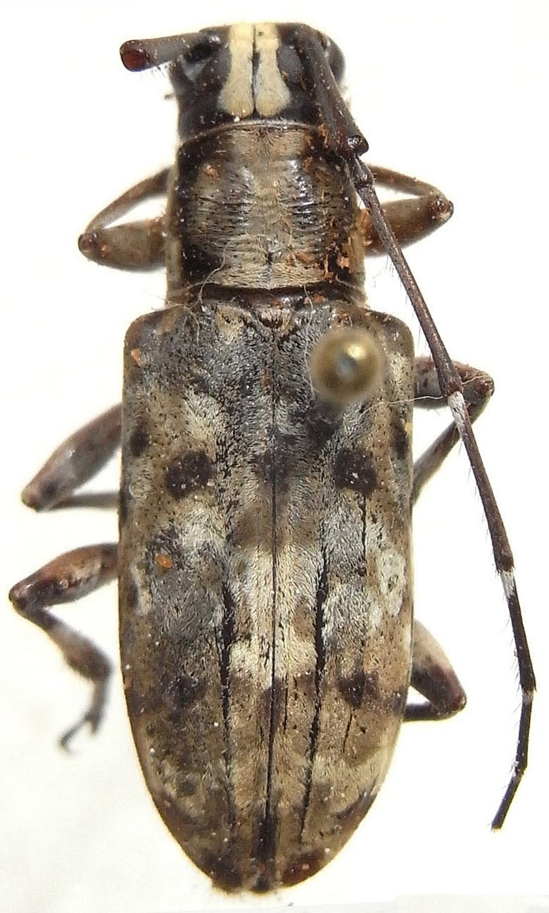
Genus Ereis


Ereis
annulicornis


Ereis
anthriboides
anthriboides


Ereis
anthriboides
annamensis


Ereis
anthriboides
perakensis


Ereis
distincta

Ereis
javanica
 

Ereis
roseomaculata


Ereis
subfasciata

Ereis
sumatrensis
 

Ereis
thoracicus

130503