New Search Family, Subfamily and Tribe List
new world both worldsboth worlds old world
Family Cerambycinae
SubFamily Cerambycinae
Tribe Clytini

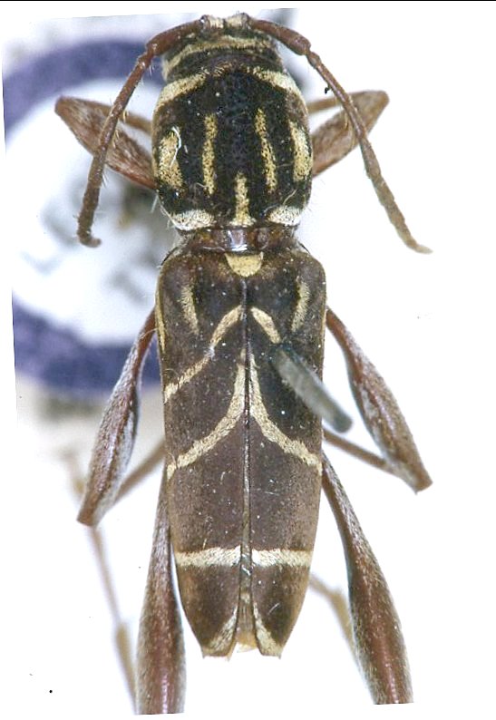
Genus Unaiuba


Unaiuba
aulai


Unaiuba
beltiana


Unaiuba
bruchi


Unaiuba
catarina


Unaiuba
flava


Unaiuba
giesberti


Unaiuba
icterica


Unaiuba
ion


Unaiuba
ludicrus


Unaiuba
m-fasciata


Unaiuba
pinima


Unaiuba
sarukhani


Unaiuba
vitellina


Unaiuba
vitticollis


Unaiuba
zonata

130503