New Search Family, Subfamily and Tribe List
new world both worldsboth worlds old world
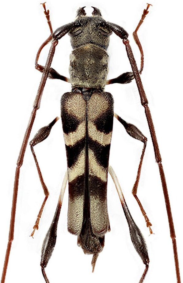
Family Cerambycinae
SubFamily Cerambycinae
Tribe Compsocerini

Genus Eduardiella


Eduardiella
amoena


Eduardiella
dayaoshana


Eduardiella
pretiosa

130503