New Search
Family, Subfamily and Tribe List
Family
Lepturinae
SubFamily
Lepturinae
Tribe
Teledapini
Genus
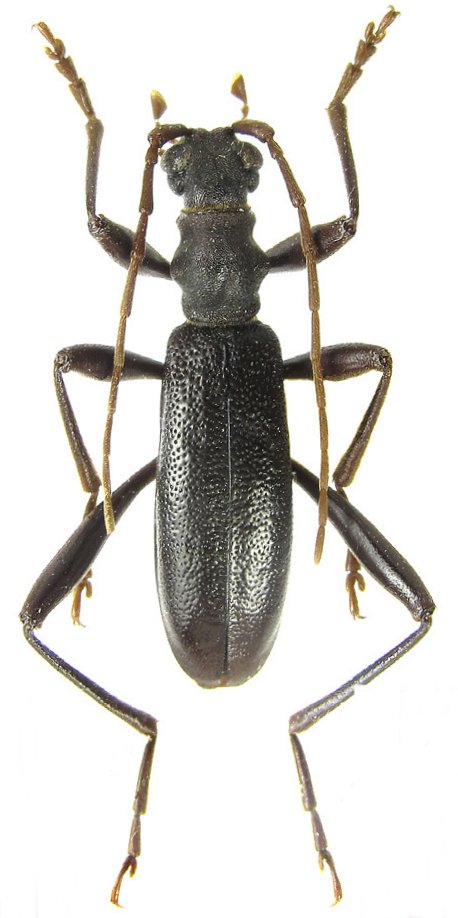
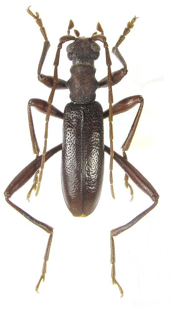
Teledapalpus
Teledapalpus
cremarius
Teledapalpus
hospes
Teledapalpus
murzini
Teledapalpus
zamotajlovi
Teledapalpus
zolotichini
130503