New Search Family, Subfamily and Tribe List

SubFamily Cerambycinae

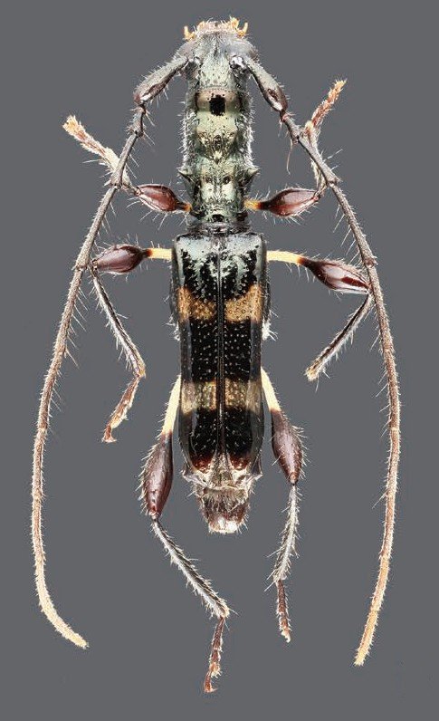
Tribe Cleomenini
Procleomenes negrosus Niisato & Tichư 2016

Specimen Type: holotype
Institution: NIAES National Institute for AgroEnvironmental Sciences, Tsukuba, Japan
Photographer: Tomas Tichy
Collection Location: Dumaguete, Central Visayas, Negros Island, Philippines
102315

130425