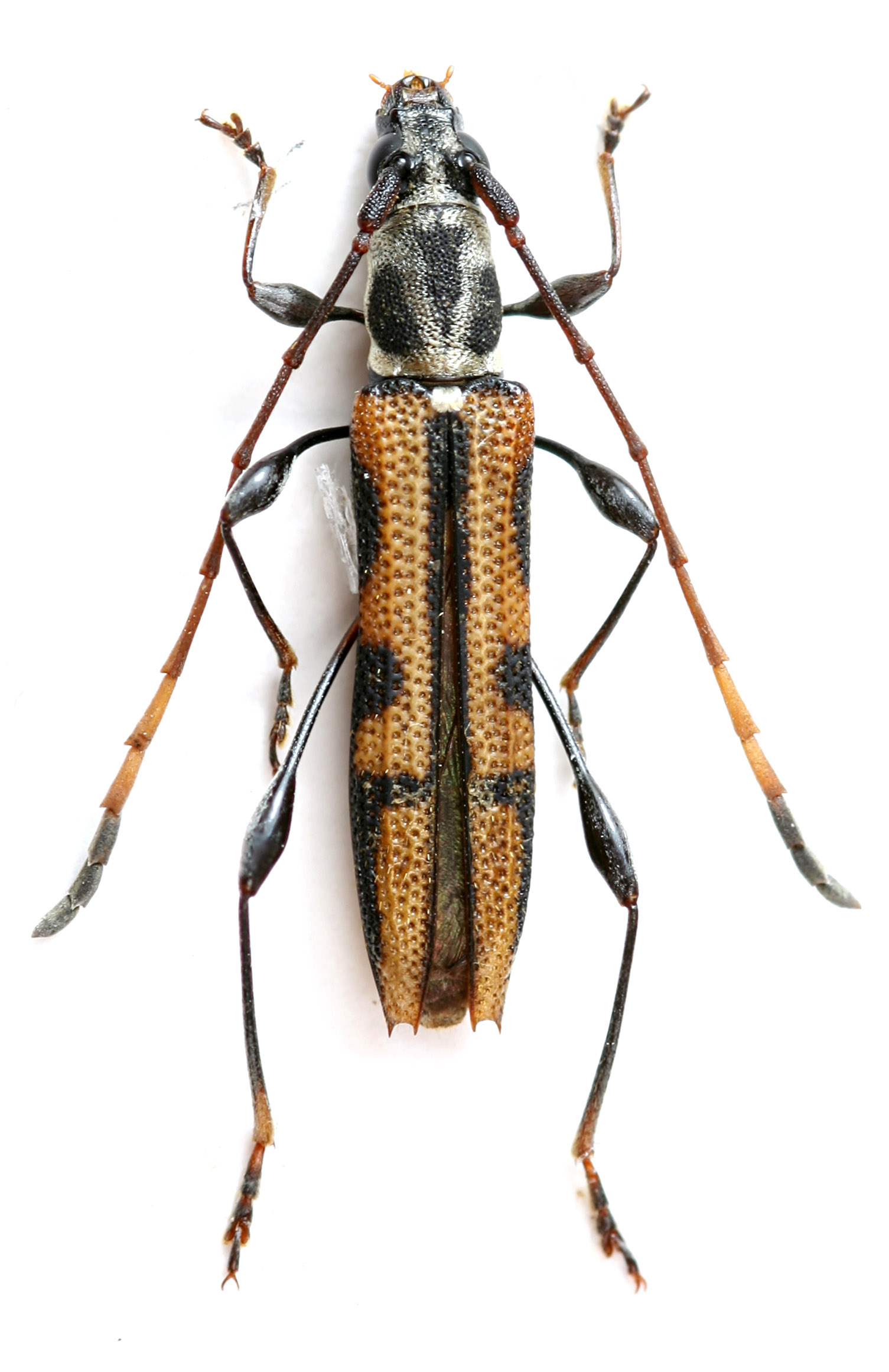
 Holz Coll Mondulkiri Province, Cambodia Bruno Brudermann.jpg)
Specimen Type: holotype Sex: f Institution: Holzschuh Collection Photographer: Bruno Bruderman Collection Location: Mondulkiri Province, Cambodia 100752
|

Photographer: Francesco Ruggiero, Cerambycoidea Forum Collection Location: Binh Thuan Province, Vietnam 100878
|