New Search Family, Subfamily and Tribe List
new world both worldsboth worlds old world
Family Cerambycinae
SubFamily Cerambycinae
Tribe Tillomorphini (Clytellina)

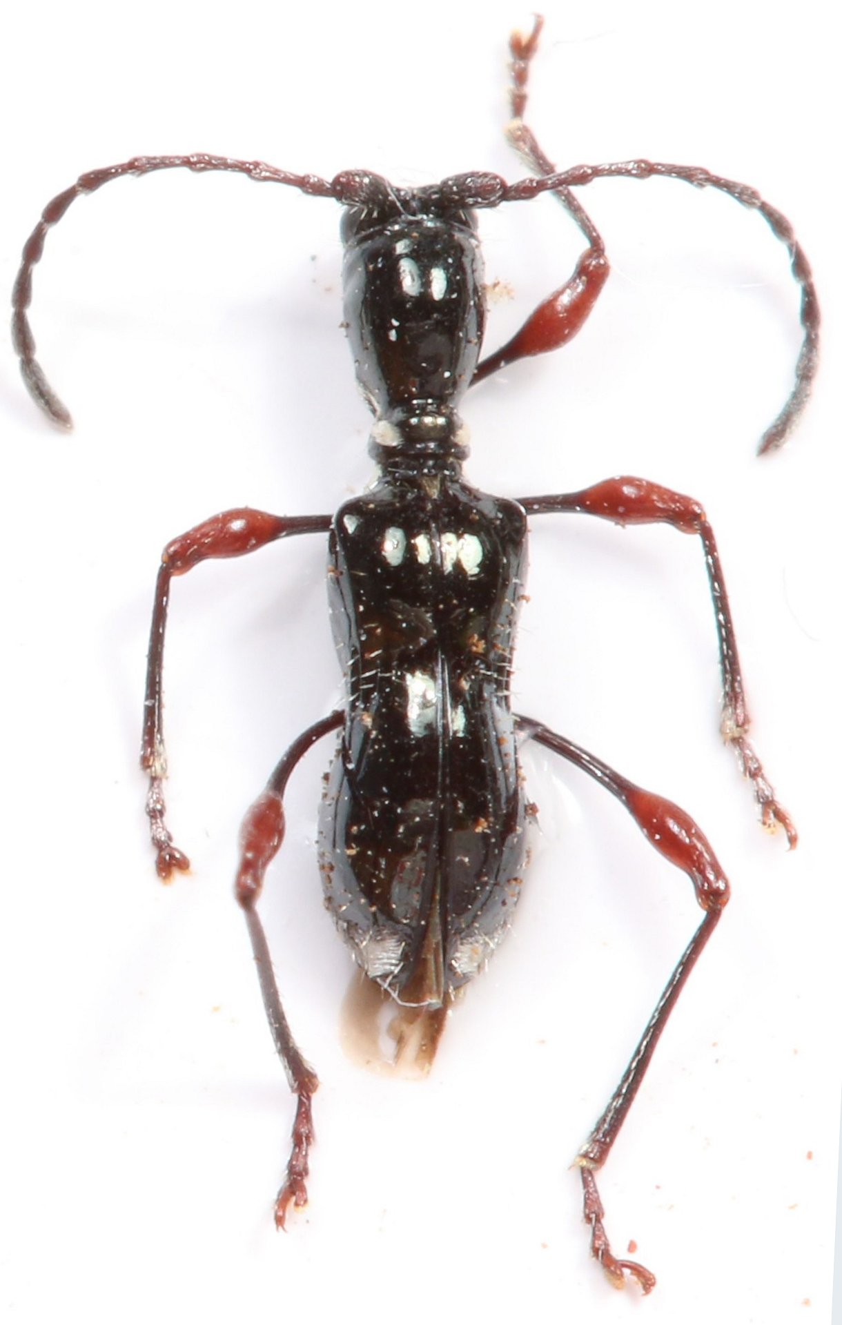
Genus Clytellus


Clytellus
akiyamai


Clytellus
barclayi

Clytellus
belokobylskiji
 

Clytellus
benguetanus


Clytellus
canaliculatus

Clytellus
dembickyi
 
Clytellus
elongatus
 

Clytellus
fulgidus

Clytellus
gressitti
 
Clytellus
hefferni
 
Clytellus
javanus
 
Clytellus
jenisi
 

Clytellus
kareli

Clytellus
kasatkini
 

Clytellus
kiyoyamai

Clytellus
kubani
 

Clytellus
laosicus

Clytellus
lingafelteri
 
Clytellus
lobanovi
 
Clytellus
makarovi
 
Clytellus
malayanus
 

Clytellus
methocoides


Clytellus
monilis


Clytellus
mononychus

Clytellus
olesteroides
 
Clytellus
perhentianus
 
Clytellus
periculosus
 

Clytellus
philippinus

Clytellus
sarawakiensis
 
Clytellus
selebensis
 

Clytellus
serratulus

Clytellus
shibatai
 
Clytellus
tatianae
 
Clytellus
viridipennis
 
Clytellus
vivesi
 
Clytellus
waterstradti
 

Clytellus
westwoodii

130503