New Search Family, Subfamily and Tribe List
new world both worldsboth worlds old world
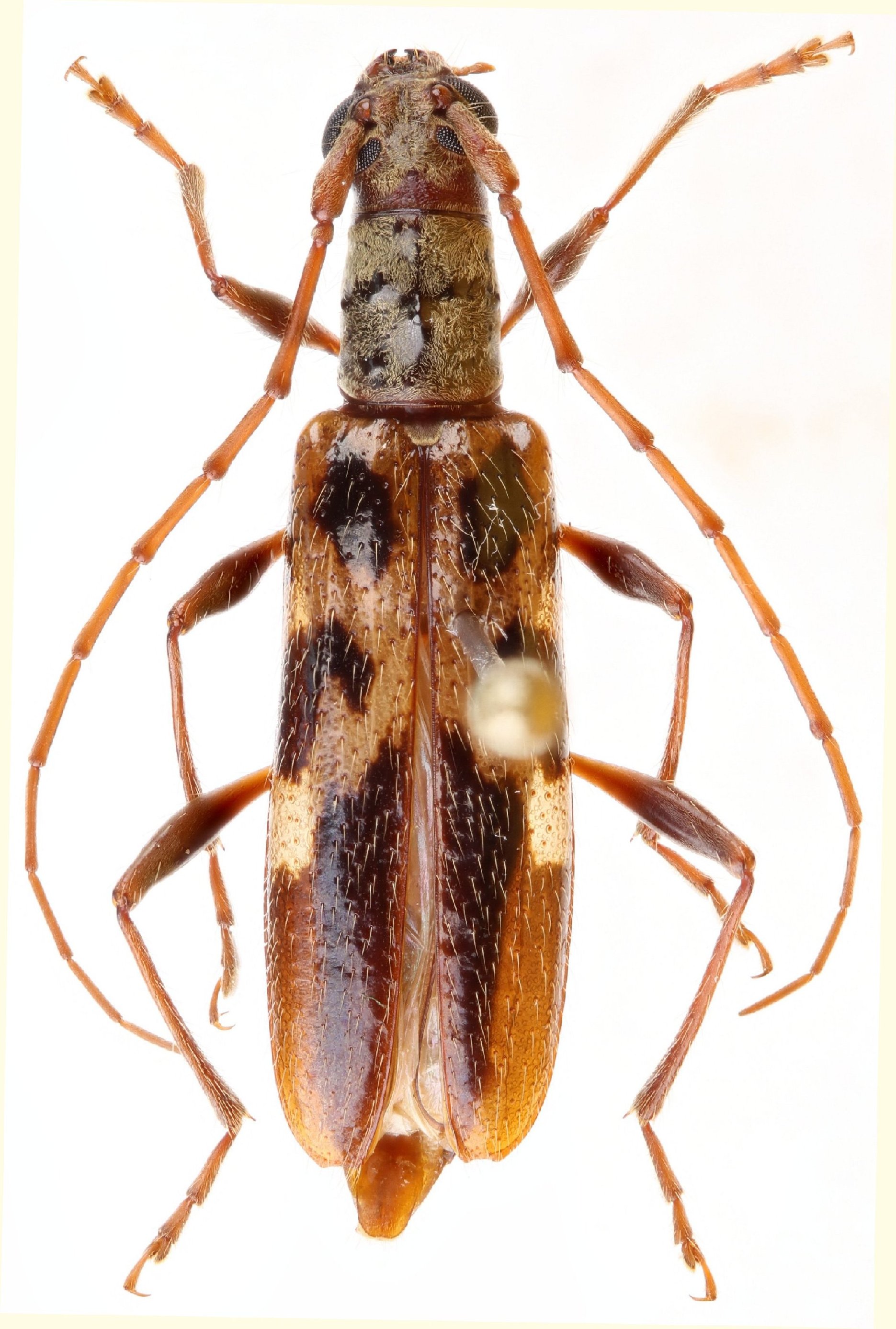
Family Cerambycinae
SubFamily Cerambycinae
Tribe Tropidini (Neoibidionina)

Genus Compsibidionoides


Compsibidionoides
dietrichorum

130503