New Search Family, Subfamily and Tribe List
new world both worldsboth worlds old world
Family
SubFamily
Tribe Disteniini

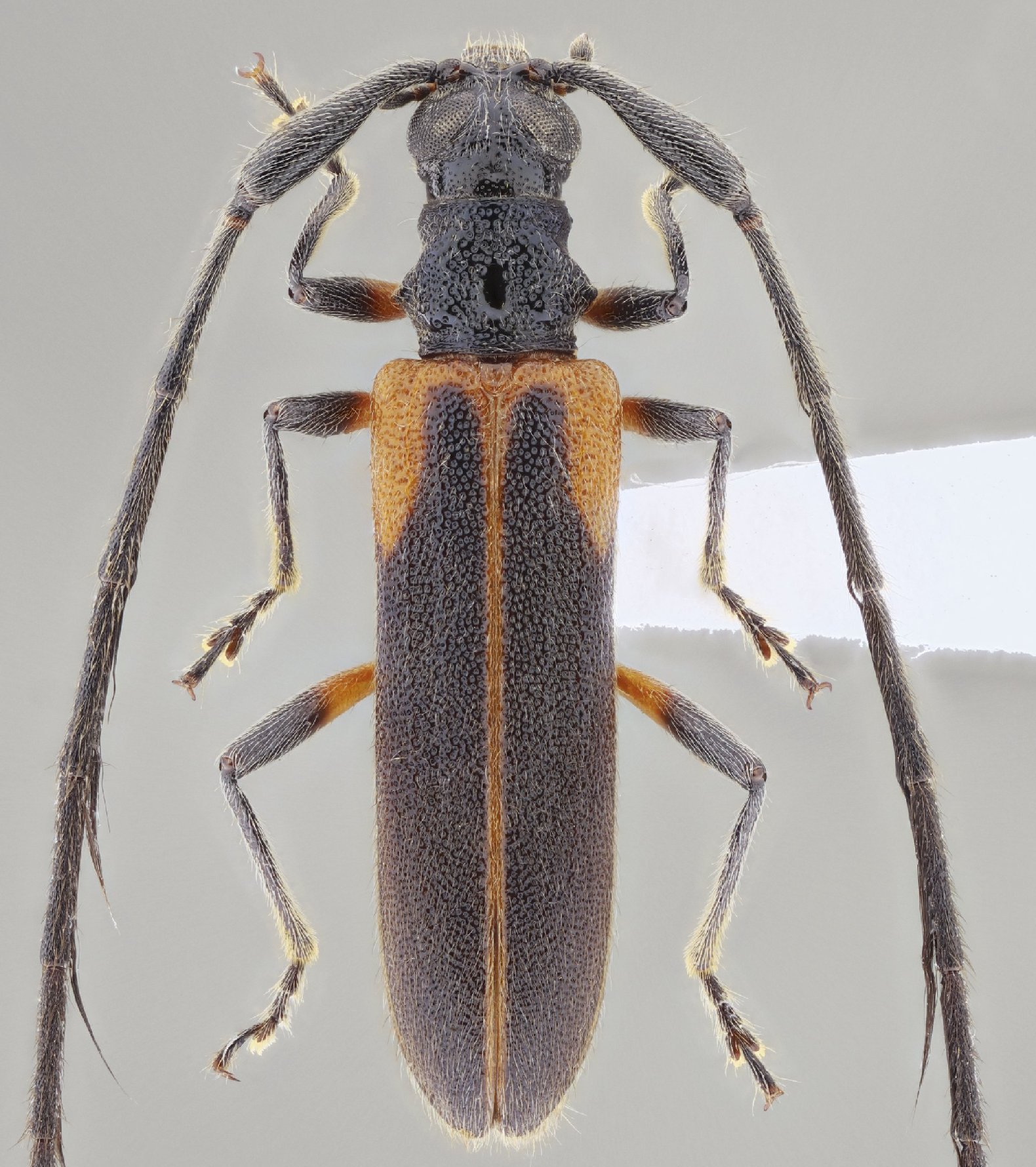
Genus Cupecuara


Cupecuara
argodi


Cupecuara
erwini


Cupecuara
pojuca


Cupecuara
santossilvai


Cupecuara
soledari


Cupecuara
turnbowi

130503